Найти в Дзене
РуДороги

За что сейчас в России автоматически штрафуют по камерам

Оглавление

Камеры фотовидеофиксации в России в 2025 году фиксируют более 50 видов нарушений ПДД, включая превышение скорости, проезд на красный свет и новые составы вроде использования телефона за рулем. По данным ГИБДД, такие комплексы генерируют 89% всех постановлений, а штрафы начисляются владельцу транспортного средства независимо от того, кто находился за рулем.

С 1 ноября 2025 года камеры начали отдельно регистрировать каждое нарушение в одном эпизоде, что может привести к нескольким штрафам одновременно. А в Москве и Санкт-Петербурге ставки за некоторые нарушения вдвое выше, чем в регионах. Давайте разберемся.

Превышение скорости и нарушения разметки

Превышение скорости остается наиболее частым нарушением: за 20–40 км/ч сверх лимита штраф составляет 750 рублей, за 40–60 км/ч — 1500–2250 рублей, за 60–80 км/ч — 3000–3750 рублей (или лишение прав на 4–6 месяцев), свыше 80 км/ч — 7500 рублей (или 6 месяцев без прав).

Верховный суд РФ уточнил, что последовательные камеры на одном участке трассы фиксируют отдельные нарушения, суммируя штрафы. Несоблюдение разметки (пересечение "сплошной" или знаков) наказывается аналогично — от 750 до 7500 рублей. Кстати, в столицах за выезд на встречную полосу штраф достигает 5000 рублей против 1500–2250 рублей в регионах.​

Новые нарушения с ноября 2025 года

С 1 ноября камеры автоматически фиксируют использование телефона в руке (штраф 5000 рублей), непристегнутый ремень безопасности (1500 рублей) и отсутствие ближнего света днем (500 рублей), выдавая постановления по каждому отдельно.

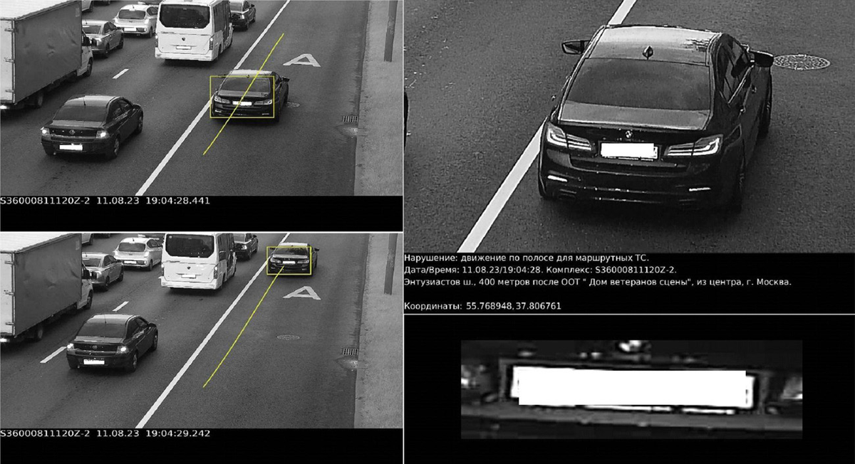
Выезд на полосу общественного транспорта или обочину для объезда пробки влечет 2250 рублей в регионах и 4500 рублей в Москве/СПб. Непропуск пешехода на переходе — 1500–2500 рублей. В Москве камеры тестируют контроль за громкой музыкой (500 рублей), а также фиксируют непристегнутых пассажиров.

-2

Проезд светофоров и парковка

Проезд на красный свет фиксируется штрафом в 1500 рублей (повторный камерой — тоже 1500 рублей, лишение прав возможно только инспектором); выезд за стоп-линию — 800 рублей. Выезд на встречную полосу или остановка в перекрестном заторе ("вафельная" разметка) — 1000–7500 рублей; нарушения парковки/стоянки — от 750 до 7500 рублей, объезд пробки по парковке — 500 рублей. В Москве за первые месяцы 2025 года камеры выписали свыше 10 млн постановлений, преимущественно за скорость и выделенки.​

Экологические нарушения и иные составы

С 11 января 2023 года в России камеры фотовидеофиксации получили право регистрировать выброс мусора из транспортных средств в неположенных местах (на обочину, дорогу или в лес), что ввели поправками к КоАП РФ (ст. 8.2 ч. 3.1–3.3).

Нарушение квалифицируется как несанкционированное размещение отходов; камеры фиксируют момент броска (например, пакет или окурок) с привязкой к номеру авто, постановление выносит Росприроднадзор или ГИБДД, ответственность несет собственник ТС независимо от водителя. Штрафы зависят от типа ТС, статуса нарушителя и повторности.

Штрафы за выброс мусора из легковых авто и мотоциклов

Для физлиц за первый выброс мусора из легкового автомобиля, мотоцикла или прицепа штраф составляет 10 000–15 000 рублей (ч. 3.1 ст. 8.2 КоАП РФ). При повторном нарушении в течение года — 20 000–30 000 рублей. Должностные лица и ИП платят 20 000–30 000 рублей (первое) или 40 000–60 000 рублей (повторно) с возможной конфискацией ТС; юрлица — 30 000–50 000 рублей (первое) или 60 000–100 000 рублей (повторно) также с конфискацией.​

-3

Штрафы за выброс из грузовиков и самоходной техники

Выброс мусора с грузовых автомобилей, прицепов, тракторов или другой самоходной техники (ч. 3.3 ст. 8.2 КоАП РФ) влечет более строгие санкции: для граждан — 40 000–50 000 рублей (первое нарушение), до 60 000–70 000 рублей (повторно). Должностные лица — 60 000–80 000 рублей (первое) или 80 000–100 000 рублей (повторно) с конфискацией; юрлица — 100 000–120 000 рублей (первое) или до 200 000 рублей (повторно) с конфискацией ТС.

Итоги

Теперь "письмо счастья" может прийти не за гонку, а за окурок или телефон — штрафы суммируютс. Будьте внимательны: пристегнитесь, спрячьте гаджеты, держите урну в салоне. Впереди — умные системы с ИИ, так что привыкайте к "неусыпному глазу" заранее.