Добавить в корзинуПозвонить
Найти в Дзене
Ферма.expert 🌿

Виноград Кариньян: поздний технический сорт с бархатистыми танинами

Виноград сорта «Кариньян» — это поздний технический сорт с глубокой историей. Его сине-черные ягоды рождают вина с бархатистыми танинами. Сильнорослая лоза требует внимания, но щедро отзывается урожаем. Давайте разберемся в его особенностях, сильных сторонах и нюансах ухода. ‹› Кариньян – это не просто технический сорт винограда, а живая часть европейской винодельческой истории. Его генетическое происхождение связано с Испанией, откуда лоза, вероятно, мигрировала во Францию еще в средние века. Настоящей родиной, где сорт раскрыл свой потенциал и обрел мировую известность, стал регион Лангедок-Руссильон на юге Франции. Здесь, на бедных каменистых почвах и под жарким солнцем, Кариньян стал фундаментом для производства мощных, танинных красных вин, способных к длительной выдержке. Он долгое время доминировал в виноградниках региона, обеспечивая основу для знаменитых купажей. В XX веке его популярность пошла на спад из-за сложностей в выращивании (позднее созревание, восприимчивость к боле
Оглавление

Виноград сорта «Кариньян» — это поздний технический сорт с глубокой историей. Его сине-черные ягоды рождают вина с бархатистыми танинами. Сильнорослая лоза требует внимания, но щедро отзывается урожаем. Давайте разберемся в его особенностях, сильных сторонах и нюансах ухода.

‹›

Происхождение сорта

Кариньян – это не просто технический сорт винограда, а живая часть европейской винодельческой истории. Его генетическое происхождение связано с Испанией, откуда лоза, вероятно, мигрировала во Францию еще в средние века. Настоящей родиной, где сорт раскрыл свой потенциал и обрел мировую известность, стал регион Лангедок-Руссильон на юге Франции.

Здесь, на бедных каменистых почвах и под жарким солнцем, Кариньян стал фундаментом для производства мощных, танинных красных вин, способных к длительной выдержке. Он долгое время доминировал в виноградниках региона, обеспечивая основу для знаменитых купажей.

В XX веке его популярность пошла на спад из-за сложностей в выращивании (позднее созревание, восприимчивость к болезням) и смены потребительских предпочтений в сторону более легких вин. Многие лозы были выкорчеваны. Однако в последние десятилетия интерес к сорту возродился.

Виноделы вновь оценили его способность выражать терруар (особенности местности) и создавать вина с уникальным, строгим характером. Сегодня из него производят как традиционные купажи, так и моносортовые вина, подчеркивающие его индивидуальность.

В странах бывшего СССР сорт получил распространение в промышленных масштабах благодаря своей урожайности и пригодности для переработки. Он успешно культивируется в южных регионах России, Украины и Молдовы, где продолжительный теплый период позволяет ягодам достичь полной фенологической зрелости, необходимой для баланса сахара и кислоты.

Информация о сорте

Кариньян – это классический технический сорт, чье главное и единственное предназначение – виноделие. Из его ягод не готовят изюм, их редко употребляют в свежем виде из-за специфики вкуса. Вся его ценность раскрывается в бокале вина.

Особенности позднего созревания

Сорт позднего срока созревания, что накладывает основной отпечаток на выбор региона для выращивания. Ему требуется длительный вегетационный период с большим количеством солнечных дней, чтобы ягоды накопили достаточное количество сахара и фенольных соединений. В прохладных регионах он просто не успеет вызреть и даст кислое, травянистое вино.

Поздний срок созревания также означает, что сбор урожая часто откладывается на осень, когда возрастают риски поражения серой гнилью и другими грибковыми заболеваниями. Это требует от виноградаря особого внимания к фитосанитарному состоянию насаждений в конце сезона.

Сила роста и её последствия

Сила роста куста характеризуется как сильнорослая. Это означает, что растение обладает мощной энергией и требует простора и грамотного формирования. Если не контролировать рост, вся сила уйдет в развитие лозы и листовой массы в ущерб урожаю и качеству ягод.

Такая особенность диктует необходимость применения крупных формировок с большим запасом многолетней древесины и длинной обрезкой плодовых лоз. Сильнорослость также предполагает повышенные требования к площади питания и регулярной, сбалансированной подкормке, иначе куст быстро истощит почву.

Высокая энергия роста делает сорт отзывчивым на орошение в засушливых регионах, но избыток влаги может привести к чрезмерному вегетативному развитию и задержке созревания урожая.

Винный потенциал сорта напрямую зависит от соблюдения этих условий. Только при полном вызревании в ягодах раскрывается характерный вкус с легкими бархатистыми танинами, а высокое содержание сахара (до 210 г/дм³) обеспечивает необходимую основу для качественного виноматериала.

Строение куста

Этот технический сорт формирует мощный, сильнорослый куст, что полностью соответствует заявленной характеристике силы роста. Длинные лозы отличаются высокой энергией и отличным вызреванием древесины к концу сезона, что является ключевым фактором для успешной перезимовки и будущей урожайности.

Такая бурная вегетация напрямую влияет на агротехнику. Куст требует значительного пространства: минимальная рекомендуемая схема посадки – 3 метра между растениями в ряду. Опора должна быть капитальной, рассчитанной на большую массу многолетней древесины и ежегодного прироста. Стандартная шпалера с 2-3 проволоками здесь обязательна, а для лучшего распределения нагрузки часто применяют высокоштамбовые формировки с широкими плечами.

Особенности побегообразования и листового аппарата

Листовая пластина среднего размера, классической для винограда формы – трех- или пятилопастная, с умеренной рассеченностью. Отличительная черта – легкое паутинистое опушение на нижней (тыльной) стороне листа, что можно ощутить при прикосновении.

Сила роста куста проявляется в активном образовании пасынков (боковых побегов) и большом количестве жирующих побегов, особенно при избытке азотного питания или недостаточной нагрузке. Без контроля это приводит к загущению кроны, ухудшению проветриваемости и, как следствие, повышению риска развития грибковых заболеваний.

Из-за высокой энергии роста стандартную обрезку на плодоношение рекомендуется проводить с запасом глазков, с последующей нормировкой побегами и соцветиями весной. Это страхует от возможного повреждения зимующими почками и позволяет оставить оптимальное количество продуктивных лоз.

Мощная корневая система, характерная для сильнорослых сортов, обеспечивает хорошую засухоустойчивость и самостоятельность куста. Однако в первые 2-3 года после посадки молодое растение нуждается в регулярном поливе для формирования глубоко проникающих корней, которые в дальнейшем будут снабжать взрослую лозу влагой и питанием.

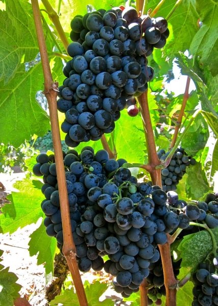
Ягода и гроздь: описание

Внешний вид урожая этого технического сорта довольно скромен, что является общей чертой для многих вин, ориентированных на переработку. Однако за кажущейся простотой скрывается сложный химический состав, определяющий высокое качество будущего виноматериала.

Характеристики грозди

Грозди имеют классическую для винных сортов цилиндро-коническую форму. Их средний вес составляет около 150 граммов, что относится к категории некрупных. Плотность расположения ягод в грозди средняя: они не слишком сжаты, что обеспечивает хорошую проветриваемость и снижает риск развития гнилей в условиях повышенной влажности.

Такая структура облегчает и ручной сбор урожая. Средняя плотность является оптимальным балансом между компактностью, которая способствует накоплению сахара в ягодах за счет микроклимата внутри грозди, и достаточной рыхлостью для здоровья винограда.

Особенности ягоды

Ягоды округлой формы, мелкие, со средним весом 3,8 грамма. Они покрыты плотной кожицей насыщенного сине-черного цвета, которая обильно покрыта природным восковым налетом (пруином). Этот налет выполняет защитную функцию, оберегая ягоду от внешних воздействий и испарения влаги.

Мякоть сочная, не имеет выраженного аромата в сыром виде, что характерно для многих технических сортов. Ключевая особенность вкуса свежей ягоды – ощутимые, но мягкие бархатистые танины. Эти дубильные вещества чувствуются как легкая терпкость, «косточковый» оттенок, и именно они впоследствии дают вину необходимую структуру, сложность и потенциал к выдержке.

Для столового потребления в свежем виде ягоды могут показаться слишком простыми из-за нейтрального вкуса и заметной терпкости. Их истинное предназначение полностью раскрывается в процессе виноделия.

Винодельческий потенциал

Небольшой размер ягоды и её округлая форма имеют прямое отношение к качеству вина. Соотношение кожицы и сока (так называемое соотношение кожицы к мякоти) у мелких ягод более высокое. Поскольку именно в кожице концентрируются красящие вещества (антоцианы), танины и многие ароматические предшественники, Кариньян способен давать вина с глубоким, насыщенным цветом и хорошей танинной структурой даже без экстрактивных методов.

Плотная кожица не только способствует накоплению фенольных соединений, но и обеспечивает ягоде устойчивость к механическим повреждениям во время транспортировки и умеренную сопротивляемость серой гнили. Указанные в характеристиках высокий уровень сахара (до 210 г/дм³) и сбалансированная кислотность (около 6,1 г/дм³) создают идеальную основу для сбалансированных, полнотелых вин с потенциалом к развитию в бутылке.

Морозостойкость и уход зимой

Заявленный порог морозостойкости в -17°C определяет всю стратегию зимнего ухода за этим сортом. Эта характеристика относит его к категории средне- или слабоморозостойких, что требует от виноградаря четкого понимания климатических рисков своего региона.

География неукрывного и укрывного выращивания

В зонах с мягкими зимами, таких как Черноморское побережье, где отрицательные температуры редко бывают экстремальными, кусты можно формировать на высоком штамбе и выращивать без укрытия. Это классическая для данного сорта практика в его родных регионах Франции.

Однако в континентальном климате, где столбик термометра регулярно опускается ниже -20°C, а также в зонах с резкими перепадами температур и малоснежьем, укрытие становится обязательной процедурой. Пренебрежение им ведет к гибели или сильному повреждению плодовых почек и многолетней древесины.

Специфика подготовки лозы к укрытию

Подготовка начинается с правильного выбора сроков. Лозу снимают со шпалеры для укладки только после естественного листопада и начала первых небольших заморозков (около -3…-5°C). Это позволяет побегам пройти естественную закалку, в ходе которой происходит отток питательных веществ и вызревание древесины.

Из-за сильнорослости Кариньяна его лозы часто бывают длинными и мощными. Чтобы избежать поломок при укладке, операцию проводят в относительно теплый день, когда древесина более эластична. Связанные в рыхлые пучки лозы обязательно обрабатывают 3%-ным раствором железного купороса. Эта обработка не повышает морозостойкость, но критически важна для профилактики развития плесени и грибковых инфекций в условиях ограниченной вентиляции под укрывным материалом.

Самая частая ошибка – раннее укрытие. Дождитесь устойчивых небольших отрицательных температур (-3…-5°C), чтобы лоза прошла естественную закалку и ушла в состояние глубокого покоя. Слишком раннее утепление провоцирует выпревание почек.

Метод укрытия и контроль микроклимата

Укладывать пучки лоз необходимо на сухую подстилку. Идеально подходят деревянные щиты, лапник или плотный агротекстиль. Контакт древесины с сырой почвой почти гарантированно приводит к выпреванию и поражению гнилями.

Для самого укрытия применяют воздушно-сухой метод, который обеспечивает защиту не столько от холода, сколько от сырости и перепадов температур. Первым слоем идет нетканый материал (спанбонд плотностью 60 г/м² и выше), который пропускает воздух и отводит конденсат. Вторым, верхним, слоем укладывается влагонепроницаемый материал (пленка, рубероид), но с обязательным устройством вентиляционных продухов по торцам укрытия. Полная герметичность недопустима.

В регионах с морозными, но малоснежными зимами конструкцию дополнительно присыпают слоем земли или мульчируют соломой для повышения теплоизоляции. Важно весной, с наступлением устойчивых положительных температур, своевременно и постепенно снять укрытие, чтобы избежать выпревания почек.

Болезни: устойчивость и профилактика

Данный технический сорт не обладает высокой комплексной устойчивостью к основным грибковым заболеваниям винограда. Его восприимчивость к милдью (ложной мучнистой росе), оидиуму (настоящей мучнистой росе) и серой гнили оценивается как средняя. Эта особенность в сочетании с поздним сроком созревания формирует ключевую уязвимость: куст долго остается в вегетативном состоянии и часто попадает под осенние дожди и росы, что многократно повышает риск вспышек инфекций в конце сезона.

Поэтому стратегия защиты должна быть не реактивной, а строго плановой и профилактической. Пропуск обязательных обработок в критические фенологические фазы почти гарантированно приводит к потере значительной части урожая и ослаблению растения.

Календарь защитных мероприятий

Эффективная схема обработок строится вокруг ключевых этапов развития лозы. Интервалы между опрыскиваниями могут корректироваться в зависимости от погодных условий: в сухую жаркую погоду их можно увеличить, а в дождливую и прохладную – сократить.

  • Ранневесенняя (искореняющая) обработка. Проводится сразу после открытия кустов и сухой подвязки. Цель – уничтожение зимующих форм возбудителей. Кусты и почву под ними обильно опрыскивают 3% раствором железного купороса или баковой смесью на его основе.
  • Фаза 3-5 листьев. Первая профилактическая обработка по зеленому листу. Применяют системные фунгициды широкого спектра действия, эффективные против милдью и оидиума. Это создает внутренний защитный барьер в тканях растения.
  • Обработка перед цветением. Одна из самых важных. Задача – защитить соцветия от заражения оидиумом и серой гнилью, что напрямую влияет на будущую урожайность. Используют препараты, разрешенные для этой фазы.
  • Обработка после цветения. Проводится, когда завязи достигнут размера мелкой горошины. Закрепляет защиту формирующегося урожая.
  • Дальнейшие обработки. После четвертого опрыскивания обработки повторяют с интервалом 10-14 дней, вплоть до фазы начала созревания (размягчения ягод). Крайне важно чередовать препараты с разными механизмами действия (системные и контактные), чтобы не вызвать у патогенов резистентности (устойчивости).

Агротехнические методы как основа профилактики

Химическая защита будет малоэффективна без правильной агротехники. Сильнорослость куста, указанная в характеристиках, является одновременно и вызовом. Густая, плохо проветриваемая крона – идеальная среда для развития грибков.

Обязательными приемами становятся:

  • Регулярная летняя чеканка. Удаление верхушек побегов после завязывания ягод перенаправляет силы растения на созревание урожая и улучшает освещенность и воздухообмен внутри куста.
  • Прореживание листового полога в зоне гроздей. Удаление 3-5 листьев вокруг каждой грозди после цветения ускоряет созревание, способствует опрыскиванию и снижает влажность.
  • Своевременное пасынкование и подвязка. Не допускайте беспорядочного сплетения побегов. Все зеленые приросты должны быть равномерно распределены на шпалере.
  • Нормировка урожая. Перегруженный куст болеет чаще и вызревает хуже. Учитывая среднюю плотность грозди и их вес, перегруз для этого сорта особенно опасен.

Для Кариньяна в зонах с влажным климатом рекомендуется увеличить на одну-две количество профилактических обработок в августе-сентябре, ориентируясь на прогноз погоды. Это поможет защитить поздний урожай от осенних вспышек милдью и серой гнили.

Контроль за кислотностью почвы также важен для здоровья куста. Избыточная кислотность угнетает растение, делая его более уязвимым. Поддержание нейтральной или слабощелочной реакции почвы (pH 6.5-7.5) через своевременное внесение доломитовой муки или древесной золы укрепляет естественный иммунитет лозы.

Правила посадки

Успешное выращивание этого технического сорта начинается с грамотной посадки, которая должна компенсировать его биологические особенности. Ключевыми факторами являются мощный рост куста и поздний срок созревания ягод. Эти характеристики диктуют необходимость обеспечить растению максимум тепла и пространства с самого начала.

Выбор и подготовка места

Основная задача – выбрать участок, где лоза получит максимальное количество солнечного тепла для полноценного вызревания. Идеальным считается южный или юго-западный склон, который естественным образом аккумулирует тепло и обеспечивает хороший сток холодного воздуха. Если участок ровный, место должно быть абсолютно открытым солнцу и защищенным от господствующих северных и восточных ветров забором, строением или живой изгородью.

Сильнорослость куста подразумевает не только активное развитие надземной части, но и глубокое проникновение корневой системы. Поэтому посадочная яма готовится основательно: минимальные размеры 80х80х80 см. Такая глубина необходима для создания стабильного водно-воздушного режима в зоне залегания основных корней и их защиты от поверхностного промерзания.

Пошаговая технология посадки

Процесс подготовки ямы направлен на создание долговременного запаса питания и оптимальной структуры почвы для молодого растения.

  1. При копке ямы плодородный верхний слой почвы (примерно 30-40 см) складывайте отдельно от нижнего, менее плодородного.
  2. На дно обязательно уложите дренажный слой толщиной 10-15 см из щебня, гальки или битого кирпича. Это критически важно на плотных, глинистых почвах, склонных к застою воды.
  3. Для приготовления питательной смеси используйте весь отложенный плодородный грунт. К нему добавьте 2-3 ведра полностью перепревшего навоза или компоста, 500 граммов суперфосфата и 300 граммов калийного удобрения, например, сернокислого калия. Азотные минеральные удобрения при посадке не вносятся.
  4. Заполните яму приготовленной смесью примерно на две трети, сформировав в центре холмик. Сразу установите прочный колышек-опору для подвязки саженца.
  5. Саженец разместите на вершине холмика, равномерно расправив корни по его склонам. Засыпайте яму оставшейся почвосмесью, аккуратно уплотняя ее, чтобы избежать пустот. Контролируйте уровень корневой шейки или места прививки: после посадки и усадки почвы оно должно оставаться на 3-5 см выше уровня земли.
  6. После посадки обязателен обильный полив 2-3 ведрами воды. Когда влага впитается, приствольный круг замульчируйте соломой, скошенной травой или перепревшими опилками слоем 5-8 см. В первый сезон поддерживайте почву в умеренно влажном состоянии, не допуская ее пересыхания.

Схема размещения кустов

Учитывая заявленную силу роста, схема посадки должна предотвратить загущение и конкуренцию кустов за свет и питание. Минимальное расстояние между растениями в ряду составляет 3 метра. Между рядами оставляйте не менее 3-3.5 метров. Такая пространственная изоляция обеспечит хорошую проветриваемость посадок, что является важной мерой профилактики грибковых заболеваний, и позволит каждому кусту сформировать мощную корневую систему и большую листовую поверхность, необходимую для накопления сахаров в ягодах.

При закладке большого виноградника ряды ориентируйте с севера на юг. Это обеспечит наиболее равномерное освещение кустов в течение всего светового дня.

Уходовые мероприятия

Сильнорослый куст с поздним сроком созревания требует специфического подхода, направленного на сдерживание избыточной вегетативной массы и перераспределение ресурсов в пользу урожая. Основная задача – обеспечить лозе условия для полного вызревания к началу заморозков, что напрямую влияет на её морозостойкость.

Управление водным режимом

Полив должен быть глубоким, но не частым, чтобы стимулировать развитие корневой системы вглубь. Критически важны два периода: сразу после цветения, когда идёт активный рост ягод, и влагозарядковый полив поздней осенью, повышающий устойчивость корней к низким температурам.

Полное прекращение поливов за 3-4 недели до сбора урожая – обязательное правило. Это позволяет ягодам накопить заявленные 210 г/дм³ сахара, предотвращает их растрескивание и водянистость будущего вина.

Система питания и подкормок

Стратегия подкормок строится на чётком разделении: азот даётся только в начале сезона, а с момента цветения упор делается на фосфор и калий. Такая схема корректирует естественную силу роста в сторону качества урожая.

Следующая таблица детализирует график внесения удобрений в привязке к ключевым фазам развития.

Фаза развития Вид подкормки (на 1 куст) Цель внесения Распускание почек 30 г аммиачной селитры в растворе Стимуляция роста побегов и листового аппарата За 10 дней до цветения 50 г суперфосфата, 30 г сернокислого калия Улучшение цветения и завязывания ягод Начало размягчения ягод 40 г суперфосфата, 50 г сернокислого калия Накопление сахаров, улучшение вкуса, вызревание лозы После сбора урожая 5-7 кг перегноя под перекопку Восстановление почвы, закладка основы для будущего сезона Поздняя осень (влагозарядковый полив) 50 г суперфосфата и 25 г сернокислого калия на 10 л воды (2-3 ведра под куст) Повышение зимостойкости и запаса влаги

Осеннее внесение фосфорно-калийных удобрений вместе с влагозарядковым поливом – ключевой приём для успешной перезимовки. Он ускоряет одревеснение лозы и повышает концентрацию клеточного сока.

Перекорм азотом, особенно во второй половине лета, для этого сорта недопустим. Он провоцирует буйный рост побегов в ущерб созреванию ягод и древесины, отодвигает сроки сбора урожая и резко снижает зимостойкость куста.

Работа с почвой и другие операции

Приствольные круги необходимо содержать чистыми от сорняков и регулярно рыхлить для обеспечения аэрации корней. Мульчирование органикой (солома, скошенная трава) помогает сохранить влагу и стабилизирует температуру почвы. Для сильнорослого куста обязательна подвязка зелёных побегов по мере их роста к шпалере. Это предотвращает спутывание, улучшает проветривание и освещённость гроздей, что критично для профилактики болезней.

Все уходовые мероприятия, особенно полив и подкормки, должны завершаться не позднее середины августа в средней полосе. Это даст лозе время подготовиться к периоду покоя и повысит её устойчивость к морозам до заявленных -17°C.

Правила обрезки

Для этого сильнорослого технического сорта обрезка является ключевым агроприемом, напрямую влияющим на количество и, что критически важно, на качество урожая. Без грамотного нормирования куст склонен к перегрузке, что затягивает и без того позднее созревание и ухудшает сахаронакопление.

Стратегия и сроки обрезки

Основная формирующая обрезка выполняется в состоянии покоя растения. Осеннюю процедуру проводят после листопада, но до наступления устойчивых морозов. Весеннюю – до начала активного сокодвижения («плача» лозы). Выбор сроков зависит от региона и способа укрытия.

Для Кариньяна, с его поздним сроком созревания, особенно актуальна рекомендация по двухэтапной обрезке в зонах риска. Если существует угроза ранних осенних заморозков, которые могут повредить невызревшую лозу, осенью удаляют только невызревшие части побегов и отплодоносившие звенья. Окончательную нагрузку глазками определяют и корректируют уже весной, после раскрытия кустов и оценки сохранности почек после зимовки.

Специфика нагрузки и длина обрезки

Сила роста куста позволяет и требует длинной обрезки плодовых лоз. Это основная особенность, отличающая его от многих других технических сортов. Короткая обрезка на 3-4 глазка нерациональна, так как приводит к недобору урожая и провоцирует избыточное побегообразование в ущерб плодоношению.

Плодовые стрелки обрезают, оставляя 8-12 глазков. Общая нагрузка на взрослый, хорошо развитый куст должна составлять 30-35 глазков. На очень богатых почвах и при исключительной силе роста куста нагрузку можно осторожно увеличить до 40 глазков, но это требует постоянного контроля за созреванием.

Стандартная схема формирования плодового звена включает длинную плодовую стрелку и сучок замещения, расположенный ниже и обрезанный на 2-3 глазка. Это гарантирует получение качественных побегов для плодоношения в следующем сезоне и поддерживает форму куста.

Зеленые операции в течение сезона

Летние работы направлены на поддержание баланса между вегетативной массой и урожаем, а также на улучшение проветривания куста. После начала роста проводят обломку, удаляя бесплодные и слабые побеги, а также «двойники» и «тройники» в узлах.

Пасынкование (прищипывание боковых побегов) выполняется выборочно, чтобы не перегружать куст лишними точками роста. В августе, когда рост побегов замедляется, проводят чеканку – удаление верхней части побега с недоразвитыми листьями. Этот прием останавливает ростовые процессы и перенаправляет питательные вещества на вызревание лозы и накопление сахара в ягодах, что для позднего Кариньяна особенно важно.

При весенней обрезке важно помнить о склонности сорта к сильному весеннему «плачу». Срезы, особенно крупные, необходимо делать на расстоянии не менее 3-4 см от почки и обязательно обрабатывать садовым варом или специальной пастой, чтобы избежать значительной потери влаги и ослабления куста.

Сбор урожая

Уборка урожая этого технического сорта – финальный и самый ответственный этап, напрямую влияющий на качество будущего вина. Из-за позднего срока созревания лоза долго накапливает сахара и фенольные соединения, что требует от виноградаря терпения и точного контроля.

Определение оптимальной зрелости

Полная зрелость наступает, когда достигается баланс между сахаристостью и кислотностью, а также технологической зрелостью кожицы и семян. Ориентироваться только на внешний вид ягод недостаточно. Для объективной оценки используют два ключевых параметра, которые необходимо проверять с интервалом в несколько дней по мере приближения даты сбора.

Сахар (глюкоза и фруктоза) измеряется рефрактометром или ареометром в сусле. Целевой показатель для данного сорта составляет 210 г/дм³. Кислотность, преимущественно представленная винной и яблочной кислотами, определяется методом титрования. Оптимальное значение для сбора – около 6.1 г/дм³. Снижение кислотности ниже этого уровня может привести к «плоскому» вкусу вина.

Помимо лабораторных анализов, проводят органолептическую оценку. Зрелая ягода приобретает равномерную сине-черную окраску, мякоть становится сочной, а кожица истончается. Важный признак – созревание семян: они должны стать коричневыми и легко отделяться от мякоти.

Технология сбора и первичная обработка

Уборку планируют на сухой солнечный день, начинают ее в утренние часы, после испарения росы. Сырая погода или сбор по росе приводят к разбавлению сока и повышают риск развития грибковых заболеваний во время последующей переработки.

Грозди срезают секатором, захватывая часть плодоножки. Укладывают их аккуратно, стараясь не стереть природный восковой налет (пруин), который содержит дикие дрожжи. Для транспортировки используют неглубокие ящики или коробки, чтобы избежать сдавливания и повреждения ягод под собственным весом.

Учитывая среднюю плотность грозди и сочную мякоть ягод, затягивать со сбором после наступления полной зрелости не рекомендуется. Переспевший урожай теряет кислотность, ягоды могут лопаться, привлекая ос и способствуя развитию гнилей.

После сбора виноград как можно быстрее доставляют к месту переработки. Для производства качественных красных вин, где важна экстракция танинов и красящих веществ из кожицы, часто применяют цельно-гроздевой способ дробления или предварительную холодную мацерацию.

Правила хранения

Как технический сорт, Кариньян не предназначен для длительного хранения в свежем виде. Его основное назначение — переработка на вино, сок или другие продукты. Собранный урожай требует оперативных действий, так как ягоды, обладая сочной мякотью и тонкой кожицей, быстро теряют товарный вид и начинают портиться.

Максимальный срок, на который можно отложить переработку, составляет 2-3 дня. Этот период является критическим, и его соблюдение напрямую влияет на качество будущего вина. Для такого краткосрочного хранения необходимо создать строгие условия.

Условия краткосрочного хранения

Помещение должно быть прохладным, с температурой +5…+10 °C, темным и с хорошей вентиляцией. Грозди аккуратно раскладывают в один слой на чистых деревянных стеллажах, поддонах или в неглубоких ящиках. Ни в коем случае нельзя складывать урожай в кучи или в глубокую тару — это приведет к быстрому сминанию ягод, выделению сока и развитию гнилей.

Даже при идеальных условиях за эти 2-3 дня в ягодах могут начаться естественные процессы ферментации (брожения) благодаря диким дрожжам на кожице. Это не является критичным для последующего виноделия, но служит сигналом, что дальнейшее промедление недопустимо.

Последствия нарушения сроков хранения

Хранение дольше рекомендованного срока приводит к необратимым негативным последствиям. Ягоды интенсивно теряют влагу, теряя в массе, начинают подвяливаться, что концентрирует сахар, но убивает свежесть аромата.

Более опасен противоположный процесс — развитие очагов серой гнили и других грибковых заболеваний. Пораженные гнилью ягоды придают вину неприятные плесневые тона и горечь, которые практически невозможно исправить на этапе виноделия. Поэтому переработка должна быть проведена до появления первых признаков увядания или порчи.

Перед переработкой обязательно проведите тщательную сортировку урожая. Все помятые, сухие или подгнившие ягоды необходимо удалить, так как они могут испортить вкус и аромат всей партии вина.

Если немедленная переработка невозможна, более надежной альтернативой хранению в свежем виде является заморозка ягод. Замороженный виноград после оттаивания подходит для приготовления вина, хотя этот метод также имеет свои технологические нюансы.

Кулинарное использование

Как технический сорт, этот виноград практически не используется для потребления в свежем виде. Его основное и почти исключительное предназначение — производство красных вин, где он раскрывает свои лучшие качества.

Особенности вин, изготовленных из Кариньяна

Высокое содержание сахара (до 210 г/дм³) и, что критически важно, значительная кислотность (около 6,1 г/дм³) формируют характер будущего напитка. Вина получаются полнотелыми, с выраженной структурой и легкими бархатистыми танинами, как отмечено в характеристиках. Молодые вина часто демонстрируют ароматы темных ягод — черной смородины и ежевики.

Благодаря солидной кислотности, такие вина обладают отличным потенциалом к выдержке. Со временем в них развиваются более сложные тона: специй, кожи, подлеска, а при выдержке в дубовых бочках — дымные и ванильные нюансы.

Роль в купажах

Одиночные (сортовые) вина из этого сорта производятся, но его истинное призвание — купажи. Мощная танинная структура и, опять же, высокая кислотность делают его идеальной основой или добавкой для придания «костяка» более мягким винам.

Классическим и всемирно известным примером является его использование в южнофранцузских купажах, где он часто сочетается с Сира (Шираз) и Гренашем. Кариньян добавляет смеси необходимую кислотность и танинность, обеспечивая вину потенциал для длительной выдержки, в то время как другие сорта придают фруктовость и алкогольную теплоту.

Домашнее применение

В условиях личного подсобного хозяйства сорт также в первую очередь ориентирован на виноделие. Из него получаются отличные сухие и полусухие вина. Однако сочная мякоть и высокий выход сока позволяют экспериментировать.

Из ягод можно производить концентрированный, терпкий и очень насыщенный сок, который, однако, из-за высокой кислотности чаще используют как основу для морсов или смешивают с более сладкими соками. Также из перезревшего или некондиционного урожая получается виноградный уксус с глубоким и сложным вкусом.

Использование для классических домашних заготовок, таких как варенье, джем или компот, считается нецелесообразным. Причина — большое количество косточек в ягоде и специфический, не самый яркий фруктовый вкус мякоти, который не дает желаемого результата после термообработки.

Достоинства и недостатки сорта

Плюсы и минусы

Высокое содержание сахара в ягодах

Хорошая дегустационная оценка производимого вина

Сильная энергия роста куста

Поздний срок созревания

Ограниченная морозостойкость

Средняя урожайность

📋 Подробный разбор плюсов и минусов ▼

✅ Преимущества:

Высокое содержание сахара в ягодах

Содержание сахара достигает 210 г/дм³, что является отличным показателем для технического сорта. Это позволяет получать вина с хорошим потенциалом алкоголя и полнотелостью без необходимости шаптализации (добавления сахара), что снижает себестоимость и повышает натуральность продукта.

Хорошая дегустационная оценка производимого вина

Оценка вина составляет 7.7 баллов, что свидетельствует о его высоких органолептических качествах. Вино обладает характерным вкусом с легкими бархатистыми танинами, что ценится в купажах для придания структуры и сложности.

Сильная энергия роста куста

Сильнорослость куста означает его мощную корневую систему и высокую жизнеспособность. Это позволяет лозе хорошо переносить стрессы, эффективно использовать почвенные ресурсы и требует менее интенсивного ухода для поддержания роста по сравнению со слаборослыми сортами.

❌ Недостатки:

Поздний срок созревания

Позднее созревание является ключевым ограничением. Сорт подходит только для регионов с длинным и теплым вегетационным периодом. В зонах с коротким или прохладным летом ягоды могут не набрать необходимой сахаристости и фенольной зрелости, что приведет к производству кислых и травянистых вин.

Ограниченная морозостойкость

Морозостойкость до -17°C является недостаточной для выращивания в большинстве регионов России без обязательного укрытия на зиму. Это увеличивает трудозатраты и стоимость производства, а также риск вымерзания кустов в случае малоснежных или экстремально холодных зим.

Средняя урожайность

Урожайность в 46.7 ц/га является средней для технических сортов винограда. Это означает, что для получения значительных объемов сырья требуется закладывать достаточно большие площади насаждений, что может быть экономически невыгодно в сравнении с более урожайными современными сортами.

Кому подойдет?

Данный сорт подойдет опытным виноградарям и виноделам в южных регионах с продолжительным теплым летом и мягкими зимами. Он идеален для тех, кто готов уделять внимание укрытию лозы и ценит классические сорта для создания структурированных купажных вин, а не для получения максимального урожая с гектара.

Отзывы

Михаил (Краснодарский край)

Выращиваю Кариньян для домашнего вина уже лет семь. Сорт мощный, требует простора. Ягоды мелкие, но сахара набирает много, кислотность хорошая для баланса. Вино получается с характером, танинистое, на любителя. Минус — укрывать на зиму обязательно, у нас бывают морозы ниже его порога.

Ольга (Крым)

Поздний сорт, вино из него терпкое, с бархатистым вкусом. Урожайность средняя, но стабильная. Для еды не годится — чисто технический.

Дмитрий (Ростовская область)

Сажал из интереса, как классический винный сорт. Сильнорослый, пришлось серьезно формировать. Грозди некрупные, ягоды темные, сочные. Созревает действительно поздно, в нашем регионе убираю в конце сентября. Вином доволен: плотное, с хорошей структурой, оценка дегустационная справедливая. Главная проблема — морозостойкость слабовата, в первую же зиму без укрытия подмерз, теперь укутываю основательно. Для виноделов-любителей, готовых ждать и ухаживать, вариант стоящий.

Часто задаваемые вопросы

Какой минимальный pH почвы допустим для этого сорта?

Для поддержания здоровья и иммунитета куста необходима нейтральная или слабощелочная реакция почвы с pH 6.5-7.5.

Почему для этого сорта опасна короткая обрезка на 3-4 глазка?

Короткая обрезка приводит к недобору урожая и провоцирует избыточное вегетативное побегообразование в ущерб плодоношению из-за его сильнорослости.

Как правильно укрывать лозу, чтобы избежать выпревания почек?

Необходимо применять воздушно-сухой метод: первый слой — дышащий спанбонд, второй — влагонепроницаемый материал с вентиляционными продухами, укладывая лозу на сухую подстилку.

Почему сбор урожая нельзя откладывать после наступления полной зрелости?

Переспевшие ягоды теряют кислотность, могут лопаться, привлекать ос и способствовать развитию гнилей, ухудшая качество вина.

Как бороться со склонностью сорта к сильному весеннему "плачу"?

Крупные срезы при обрезке нужно делать на расстоянии 3-4 см от почки и обязательно замазывать садовым варом для предотвращения потери сока.

Почему для этого сорта критически важен дренаж при посадке?

Мощная корневая система сильнорослого куста на плотных почвах без дренажа страдает от застоя воды, что приводит к гнилям и угнетению растения.

Как нормировать урожай на взрослом кусте?

Общая нагрузка после обрезки должна составлять 30-35 глазков на куст, с последующей весенней обломкой лишних и слабых побегов.

Почему нельзя вносить азотные удобрения во второй половине лета?

Азот спровоцирует буйный рост побегов, задержит созревание ягод и древесины, что резко снизит зимостойкость куста.