Добавить в корзинуПозвонить
Найти в Дзене
ВИНОГРАД ЦЕНТР

Виноградные вопросы и ответы в конце лета

Всем мира и добра! Продолжаю. Вопрос Виктор добрый вечер хотел узнать ваше мнение по спорту муджуретули как он по урожайности и устойчивости в описании сорта слабоват? Да, Муджуретули у меня растёт. Полнейшая авантюра, но растёт. На испытании молодые кусты. Могу только пока говорить об устойчивости сорта. Ему, как и ещё нескольким собратьям, сильно не везёт последние пару лет. Ждал сигналки на кустах в прошлом году - весной всё выкосил мороз. В этом ситуация по лучше, но проблема та же. Весенние заморозки. Висит сейчас несколько ягод сигналки, поэтому хоть какое-то понимание будет по набору сахара в конце сезона. Вот что известно из грузинских источников. По устойчивости с Муджуретули пока всё хорошо. Лоза к концу сезона ежегодно чистая, по болезням нигде не проштрафился. Обрабатывается стандартно, по схеме как и весь виноградник. Отличная засухоустойчивость. По урожайности буду судить после вступления в нормальное плодоношение. Насколько известно от виноградарей - обилием урожая

Всем мира и добра!

Продолжаю.

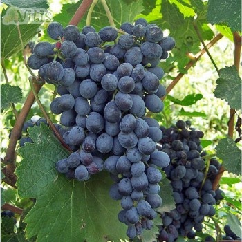
Вопрос

Виктор добрый вечер хотел узнать ваше мнение по спорту муджуретули как он по урожайности и устойчивости в описании сорта слабоват?
Фото гроздей Муждуретули из открытых источников
Фото гроздей Муждуретули из открытых источников

Да, Муджуретули у меня растёт. Полнейшая авантюра, но растёт. На испытании молодые кусты. Могу только пока говорить об устойчивости сорта. Ему, как и ещё нескольким собратьям, сильно не везёт последние пару лет. Ждал сигналки на кустах в прошлом году - весной всё выкосил мороз. В этом ситуация по лучше, но проблема та же. Весенние заморозки. Висит сейчас несколько ягод сигналки, поэтому хоть какое-то понимание будет по набору сахара в конце сезона.

Вот что известно из грузинских источников.

-2

По устойчивости с Муджуретули пока всё хорошо. Лоза к концу сезона ежегодно чистая, по болезням нигде не проштрафился. Обрабатывается стандартно, по схеме как и весь виноградник. Отличная засухоустойчивость.

По урожайности буду судить после вступления в нормальное плодоношение. Насколько известно от виноградарей - обилием урожая не страдает.

Вопрос

Здравствуйте! Подскажите, пожалуйста, чем опрыскать виноград от оидиума сейчас, когда спеют ягоды.
Начальная стадия поражения мучнистой росой/оидиумом виноградного листа. Видня на поверхности хпарактерные белые пятнышки мучнистой росы
Начальная стадия поражения мучнистой росой/оидиумом виноградного листа. Видня на поверхности хпарактерные белые пятнышки мучнистой росы

Самый распространенный и стандартный вариант обработки винограда от оидиума в момент полного созревания ягод (не беря во внимание винные сорта) - препараты коллоидной серы с хорошим её растворением в воде. На сегодняшний день это всем известный Тиовит Джет (80% коллоидной серы) и его индийский аналог - Виташанс. У меня сейчас в работе Виташанс, т.к. он закупался зимой и он был намного дешевле чем Тиовит.

Вопрос

Добрый день, я только 2 год стал заниматься виноградам, живу в Тамбовской области. У меня вопрос, виноград сорт Боготяновский средний, кисти большие, мне надо будет уехать до 15 сентября. Что делать с гроздями, оставить до приезда на лозе, или снять пусть дозревают в сарае. Спасибо. Не пропадёт он на лозе, до моего приезда (20 дней) меня не будет.

Уже был похожий вопрос недавно про отъезд в командировку. Проводите качественную профилактическую обработку накануне отъезда и с большой вероятностью всё будет хорошо. Пару недель будет защита как минимум. Я рекомендую в этом случае Квадрис + Свитч.

Что касается дозревания винограда. Была у меня несколько лет назад конкретная статья с этой темой. Есть научные исследования по поводу фруктов и ягод, которые могут дозревать после срезки и которые не могут. Виноград отнесен в исследовании к последней группе. Не все с этим виноградари согласны, но я соглашусь с учеными. Ягоды винограда - это не яблоко или груша, которые полежат в холодильнике и становятся ещё вкуснее. Если виноград не дозрел, то настоящего, отличного вкуса лежание в холодильнике ягодам не добавит, просто станет меньше сока (увяливание) и больше сахара.

Поэтому, выбор за виноградарем. А может и поэкспериментировать. Срезать пару-тройку гроздей и положить в холодильник. Остальные оставить на кусте. Потом сравнить.

Вопрос

Здравствуйте Виктор! 1 й год и 1 й раз имею дело с виноградом.)
Аватар, проснулся позже всех. По советам с инета оставила 2 отростка из 4х, думаю жирует, грузила пасынками, длина обоих уже метра 3.
Милдью лечила уже по вашему совету МФК 100гр, за несколько обработок прошло, но прижглись листы.
Теперь вообще его боюсь, ) не справляюсь, каша в голове.)
Что с ним делать, верхушку чеканить, если да, то на каком уровне?
И на листах это новая болезнь?
Геленджик. Сильно благодарю за ваш канал и всю ценнейшую инфу!

Да, хорошо видные прижигания на листовой пластине от обработки. В чем здесь большая ошибка?

-5

Куст растёт отдельно, урожая на нём нет. Зачем применять монофосфат калия? Его применяют как спасительно средство от милдью в последние дни перед созреванием урожая. Здесь этого нет. Можно было спокойно применить любой лечащий фунгицид и при том, без сильного выжигания части листовой пластины, где есть грибок милдью.

ВАЖНО! Применяйте на кустах, где нет урожая, любое доступное и эффективное средство от болезней и вредителей. Срока ожидания в этом случае нет, т.к. вы ничего не кушаете с такого куста!

Что касается листиков лодочкой, что на фото выше. Недавно в чате телеграмма "ВИНОГРАД ЦЕНТР" была информация от виноградарей, что кроме варианта с поражением гербицидом это может быть последствия от клеща. Такой вариант нельзя исключать, т.к. есть на самом деле клещ, который повреждая листовую пластину способен давать на ней похожую картину "лодочкой". Это клещ Calepitrimerus vitis. Здесь важно посмотреть на обратную сторону такого листа-лодочки. Есть ли характерные для клеща крохотные узелки на обратной стороне? Фото ниже. Если их нет, то скорее всего это всё же гербицидное повреждение.

Фото обратной стороны виноградного листа, поврежденного клещём Calepitrimerus vitis
Фото обратной стороны виноградного листа, поврежденного клещём Calepitrimerus vitis

Ответ. Если есть признаки клеща - обработайте инсектицидом. Если нет - обрежьте поврежденные листья-лодочки и пролейте разово куст водой под корень.

-8

Середина августа - чеканку сделайте стандартно (удалите 30 - 40 см. сверху), только смотрите чтобы точек роста вверху было побольше, чтоб было куда девать ещё энергию ростовых процессов.

Вопрос

Добрый вечер! Подскажите пожалуйста. При какой температуре работает Абига Пик?
-9

Иной раз просто удивляешься, насколько примитивны имеющиеся регламенты. Пытался сейчас найти регламент по Абига пик.

-10

Нашёл его в нескольких источниках, но температурных границ эффективного применения фунгицида нигде нет. Есть только "замечательная" фраза "хорошая защита при низких температурах". Низкие - это сколько???

Скриншот из характеристик Абига пик
Скриншот из характеристик Абига пик

Бардакс, однако. Про важнейший параметр применения фунгицида информации ноль. Ни верхней границы температурной, ни нижней.

Я применяю Абига пик обычно при температурах от + 15 до + 27.

Вопрос

Уважаемые виноградари, добрый вечер! Сегодня был катаклизм, град с резком понижением температуры , сейчас 11 градусов. Приехала: листья в хлам, все рваные, грозди вчера высветляла градом побило много, завтра буду выстригать. Что посоветуете, виноград только наливается, еще совсем зеленый. Может быть какими- то стимуляторами обработать типа hb 101, эпином, цирконом, имуномодулятором и т.д.? Или со слезами срезать грозди? Посоветуйте, помогите, совсем в голову ничего не лезет, одним словом паника. Заранее благодарю всех, кто откликнется.

Многократно разбирали этот вариант. Последний раз три недели назад в этой статье. Там расписан и вариант лечащей обработки.

Самая основная ошибка в большинстве случаев - это виноградари почему-то зацикливаются на всяких антистрессантах, вместо того, чтобы зацикливаться на профилактичекой/лечащей обработке. Виноград весь в "пробоинах", грибки только этого и ждут. А вы про антистрессанты...

Побитые градом лозы в начале июня
Побитые градом лозы в начале июня

Алгоритм действий после градобоя такой.

Удаляете всё сильно побитое и поврежденное. Особое внимание - что в осень останется у Вас при обрезке для плодоношения. Уже сейчас определите наименее побитые градом лозы.

В ближайшее время проведите профилактическую обработку. Рекомендую включить в неё Скор + Свитч + Квадрис.

Можно сделать через несколько дней после проф. обработки обработку антистрессовую Мегафолом

В первые 7 - 10 дней возьмите на ежедневный контроль состояние виноградника. Важно не пропустить возможную вспышку заболеваний после градобоя.

Наступает пора делиться подписчикам своими урожайными достижениями 2025. Виноградари в чате Вконтакте уже к этому приступили.

На этом заканчиваю.

Несколько ВАЖНЫХ ссылок:

Всем мира и добра!

© уважением, Виктор Безбородов