Добавить в корзинуПозвонить
Найти в Дзене

Монилиоз: как его избежать

Монилиоз - одна из самых распространенных болезней садовых деревьев в Нечерноземье. Что это такое и как его избежать? Селекционеры, работая над новыми сортами, в первую очередь стараются выработать у растений иммунитет к монилиозу. Это грибное заболевание, поражающее как семечковые, так и косточковые культуры. Оно характерно для прохладных и дождливых районов. Первые признаки монилиоза у семечковых культур (яблони, груши, айвы) чаще всего проявляются во второй половине лета в форме плодовой гнили. На поверхности плода появляется небольшое буроватое пятно. Затем оно начинает увеличиваться и через 10 дней охватывает большую часть плода. Позднее на плодах появляются крупные серовато-белые подушечки, расположенные правильными кругами. Большинство плодов опадают, но некоторые мумифицируются и остаются висеть на ветках. Именно они являются источником первичной инфекции. На косточковых культурах (сливе и вишне) первые признаки монилиоза проявляются сразу после цветения в форме монилиального о
Оглавление
как избежать монилиоз семечковых и косточковых
как избежать монилиоз семечковых и косточковых

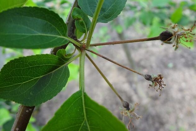
Монилиоз - одна из самых распространенных болезней садовых деревьев в Нечерноземье. Что это такое и как его избежать?

Селекционеры, работая над новыми сортами, в первую очередь стараются выработать у растений иммунитет к монилиозу. Это грибное заболевание, поражающее как семечковые, так и косточковые культуры. Оно характерно для прохладных и дождливых районов.

Как проявляется заболевание?

Первые признаки монилиоза у семечковых культур (яблони, груши, айвы) чаще всего проявляются во второй половине лета в форме плодовой гнили. На поверхности плода появляется небольшое буроватое пятно. Затем оно начинает увеличиваться и через 10 дней охватывает большую часть плода. Позднее на плодах появляются крупные серовато-белые подушечки, расположенные правильными кругами. Большинство плодов опадают, но некоторые мумифицируются и остаются висеть на ветках. Именно они являются источником первичной инфекции.

На косточковых культурах (сливе и вишне) первые признаки монилиоза проявляются сразу после цветения в форме монилиального ожога. Цветки буреют, усыхают и остаются долго висеть на дереве, веточки также внезапно усыхают.

-2

При сильном заражении повреждаются все цветочные побеги и дерево приобретает обожженный вид, отсюда и название формы.

Летом болезнь развивается на плодах косточковых, в особенности на сливе, и проявляется в форме серой плодовой гнили. Заражаются плоды от пораженных соцветий и ветвей, от перезимовавших мумифицировавшихся плодов. Так же, как и у семечковых культур, на плодах косточковых появляются бурые пятна, на поверхности которых в скором времени образуются серые подушечки со спорами. Большая часть плодов также опадает, но некоторые остаются зимовать на ветвях и являются источниками болезни.

Меры предупреждения монилиоза

Для предупреждения развития заболевания летом регулярно собирайте, используйте или уничтожайте заболевшие плоды. Осенью снимайте мумифицированные плоды, перекапывайте приствольные круги. Через 15–20 дней после цветения, когда легко отличить поврежденные соцветия и ветви, вырежьте, захватывая не менее 5 см здоровой ткани, и сожгите их. Еще через 15–20 дней при необходимости повторите обрезку. Старайтесь не наносить повреждений на кожицу плодов при их сборке и транспортировке, чтобы болезнь не проявилась при хранении. На хранение закладывайте только здоровые плоды. Кроме того, старайтесь выбирать для посадки устойчивые к монилиозу сорта.

Препараты, используемые против парши семечковых, одновременно подавляют и плодовую гниль, например бордоская смесь, медный и железный купорос, «Скор», «Хорус», «Строби» и др.

Также против парши и плодовых гнилей семечковых эффективно опрыскивание 4%-ным раствором мочевины (400 г мочевины на 10 л воды) поздней осенью и ранней весной. На косточковых хорошо помогает двукратное опрыскивание препаратами меди.