Найти в Дзене
жизнь и Крым

Муж принес свежевыловленную рыбу из моря. Очень вкусно

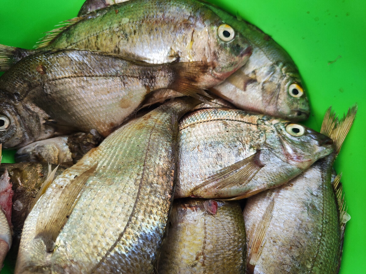
Ни муж, ни фирма где он работает, не занимается промышленной рыбной ловлей. Эта рыба была поймана обычным любительским способом на удочку между делом. Сейчас они стараются как можно чаще выходить в море. Так как летом погода позволяет. Даже если погода в выходные, то это рабочий день. Иногда работники берут с собой обычные удочки с крючками. И после работы рыбачат, если позволяет погода. Нет, это не 3-х часовые рыбалки, это буквально полчасика и домой. А бывает пока раскладываются или в перерыве 15 минут-20 минут, кто-то закинет удочку. И так опытным путем было определено, что в основном до 10 утра клюет карась морской. Он же ласкирь. Очень вкусная рыбка. Нередко экземпляры побольше попадаются. В целом его интересно ловить, так как если клюнет несколько, то тянуть его и впрямь тяжело, а значит азартно. Все про рыбалку можно почитать ниже по ссылке: Конечно, он не полукилограммовый, но по сравнению со ставридой, чаще бывает более крупный. Держится небольшими стаями чаще всего на дне

Ни муж, ни фирма где он работает, не занимается промышленной рыбной ловлей. Эта рыба была поймана обычным любительским способом на удочку между делом.

Сейчас они стараются как можно чаще выходить в море. Так как летом погода позволяет. Даже если погода в выходные, то это рабочий день.

Иногда работники берут с собой обычные удочки с крючками. И после работы рыбачат, если позволяет погода. Нет, это не 3-х часовые рыбалки, это буквально полчасика и домой. А бывает пока раскладываются или в перерыве 15 минут-20 минут, кто-то закинет удочку.

И так опытным путем было определено, что в основном до 10 утра клюет карась морской. Он же ласкирь.

Очень вкусная рыбка. Нередко экземпляры побольше попадаются. В целом его интересно ловить, так как если клюнет несколько, то тянуть его и впрямь тяжело, а значит азартно.

Все про рыбалку можно почитать ниже по ссылке:

Морская рыбалка и не только | жизнь и Крым | Дзен

Конечно, он не полукилограммовый, но по сравнению со ставридой, чаще бывает более крупный. Держится небольшими стаями чаще всего на дне, на глубине 10-20 метров, вблизи водорослей, где есть чем поживиться.

Лилит ест голову карася)
Лилит ест голову карася)

Называют его карасем скорее всего из-за того, что он похож на обычного пресноводного карася немного. Тело высокое со светло-желтым цветом и с серебряным оттенком, спинка отливает золотом. У основания грудного плавника имеются темные пятна.

Ловят его как на самодур, так и на крючки с креветкой. Последнее предпочтительнее. Желательно с большим цевьем, как на бычка, по моим наблюдениям. Скажем так, на самодур именно его нет смысла ловить, только если ничего другого нет. Лучше сделать снасть в виде донки или типа того. На конце груз, сбоку крючки. Наживка свежая черноморская креветка. Предполагаю, что можно попробовать на кальмара.

в процессе
в процессе

Ловить его можно и с берега и с лодки. В нашем случае он был пойман с лодки. И нет.. не мной. Как только думаю о рыбалке слезы счастья наворачиваются, что у меня есть дочка.))) Не могу пока пойти в море на рыбалку, никак. Может когда малая подрастет или мы как-то с мужем договоримся, не знаю... Пока я могу только помечтать и повспоминать как я раньше ловила рыбу.

Вот кстати посмотрите мои видео, как я ловила ставриду и окуня с лодки. Очень азартно было:

Так вот нам перепала небольшая доля свежевыловленного карася, который сразу отправился на сковородку.

Скажем так, его можно, как и ставридку сразу пожарить и не заморачиваться чешуей, внутренностями. Но лучше почистить его от чешуи, а также распотрошить. Предварительно я его засыпала солью и дала постоять 20 минут.

-4

Потом на разогретую сковородку с маслом положила рыбку в муке. Жарится быстро и на вкус, ну очень хороша.

Спасибо за рыбку, надеюсь и я как-нибудь смогу побывать на рыбалке и наловить сама. По рыбалке скучаю, но они о чем не жалею.))) Придет еще мое время)

Все мои статьи: про меня, про переезд, Крым, бытовку, покупку дома и коммуникации, цены можно почитать по ссылке ниже:

Навигация по блогу. Все цены. Вся важная информация здесь
жизнь и Крым5 февраля 2021

Пожалуйста, подпишитесь на канал, чтобы не потерять меня и следить за новостями. Спасибо за лайк и ваш комментарий! Всем добра!