Найти в Дзене

Монилиоз: как задержать болезнь

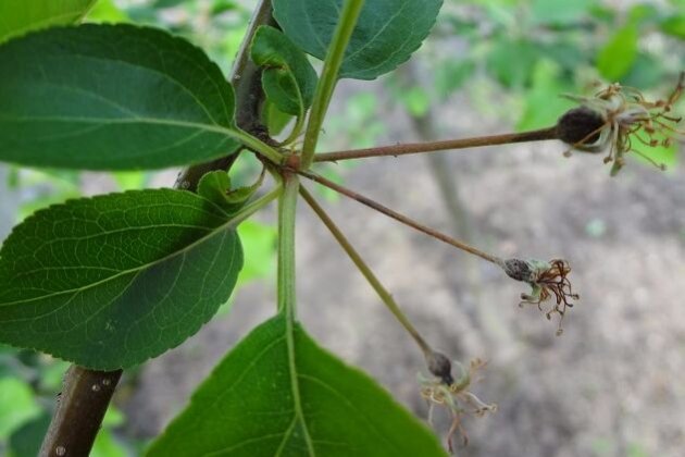
У яблони после цветения почернели завязи. В чем может быть причина? Можно предположить, что растение поражено монилиозом. Однако для уточнения диагноза лучше всего обратиться в ближайшую специализированную лабораторию. Влажная прохладная погода, затяжная весна способствует развитию многих грибных болезней, в том числе и монилиоза. Он проявляется в первой половине вегетации в виде монилиального ожога, при этом цветки засыхают и буреют, могут поражаться также плодовые веточки и кольчатки. Наиболее часто монилиоз проявляется в виде плодовой гнили в период созревания урожая. Плоды обычно поражаются в местах, поврежденных градом или птицами, плодожоркой или паршой. Первоначально появляется небольшое пятнышко, которое быстро разрастается, мякоть размягчается, буреет, на поверхности плода появляются подушечки спороношения гриба-возбудителя. Плоды абсолютно не пригодны к употреблению. В случае поражения плодов уже трудно спасти урожай, можно попытаться лишь остановить распространение инфе

У яблони после цветения почернели завязи. В чем может быть причина?

Можно предположить, что растение поражено монилиозом. Однако для уточнения диагноза лучше всего обратиться в ближайшую специализированную лабораторию.

Влажная прохладная погода, затяжная весна способствует развитию многих грибных болезней, в том числе и монилиоза. Он проявляется в первой половине вегетации в виде монилиального ожога, при этом цветки засыхают и буреют, могут поражаться также плодовые веточки и кольчатки.

Наиболее часто монилиоз проявляется в виде плодовой гнили в период созревания урожая. Плоды обычно поражаются в местах, поврежденных градом или птицами, плодожоркой или паршой. Первоначально появляется небольшое пятнышко, которое быстро разрастается, мякоть размягчается, буреет, на поверхности плода появляются подушечки спороношения гриба-возбудителя. Плоды абсолютно не пригодны к употреблению.

В случае поражения плодов уже трудно спасти урожай, можно попытаться лишь остановить распространение инфекции. При монилиозе на яблоне рекомендованы обработки «Бордоской жидкостью» (100 мл на 10 л воды), а также другими медьсодержащими средствами или препаратом «Скор» (2 мл на 10 л воды).

Опрыскивание можно проводить после цветения, выдерживая интервал между обработками у препаратов меди не менее 7 дней, при использовании «Скора» – не более 14 дней. Срок ожидания (период, после которого содержание пестицидов в растении снизится до безопасного уровня) для «Бордоской жидкости» – 38 дней, для «Скора» – 20 дней.

Очень важна профилактика, в чистых садах на здоровых растениях болезнь встречается гораздо реже. Обязательно убирайте плоды, пораженные плодовой гнилью, не оставляйте их на деревьях – это мощный источник инфекции, который вы держите прямо в собственном саду. Собирайте падалицу, с нее часто начинается распространение плодовой гнили. Защищайте деревья от вредителей, в первую очередь от плодожорки, так как любое повреждение на поверхности плода – открытая дверь для болезнетворной инфекции.

Читать также: Ржавчина груши: меры профилактики