В Петербурге утвердили проект планировки для нового путепровода на Парнас

Правительство Петербурга утвердило проект планировки второго путепровода и дублёра проспекта Энгельса, следует из постановления Смольного.

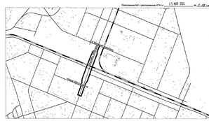
Новый путепровод пройдёт параллельно Парнасскому путепроводу.

Постановление утверждает проект планировки и межевания территории линейного объекта "Путепровод в створе пр. Энгельса с подходами от ул. Шостаковича до ул. Михаила Дудина". Согласно описанию, новый объект будет построен возле существующего Парнасского путепровода.

Во втором постановлении правительства утверждается проект планировки нового участка проспекта Энгельса. Речь идёт о "дублёре" проспекта от ул. Михаила Дудина до КАД.

В настоящее время оба постановления проходят антикоррупционную экспертизу.

Напомним, вчера в Смольном отчитались о готовности на 55% Цимбалинского путепровода (Фарфоровский мост). Общая протяжённость конструкции пролётного строения составляет 247 метров. Проект предусматривает строительство двух параллельных путепроводов, которые возводятся одновременно.

В сентябре прошлого года в Пушкине запустили движение по новому путепроводу через будущую Южную широтную магистраль. Запуск движения состоялся на два дня раньше официального открытия моста.

Читать статью на сайте

Источники: