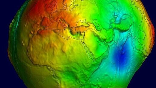
У учёных появилась теория относительно того, почему в Индийском океане существует "гравитационная дыра", где уровень моря ниже на 100 метров
В Индийском океане существует загадочная «гравитационная дыра» площадью в миллион квадратных миль, где уровень моря ниже на 340 футов (103,63 метра) — и учёные наконец думают, что знают, чем это вызвано. Официально известная как «геоидная низменность Индийского океана», она не является обычной физической дырой, а скорее представляет собой область океана, где гравитация ниже среднего уровня. Этот гравитационный провал означает, что уровень воды примерно на 340 футов ниже, чем окружающая область, — как канавка в «бугристой картошке»...
5583 читали · 4 года назад
«Над уровнем моря»: от какого моря считается данный параметр
Еще из школьных уроков географии мы помним такое понятие, как «высота над уровнем моря». При этом в школе почти никому не рассказывали, от какого именно моря считается данная величина. Быть может потому,...