Добавить в корзинуПозвонить
Найти в Дзене
МОЯ ПЛАНЕТА

Прощай, «Мелисса»: имя разрушительного урагана навсегда убрали из списка

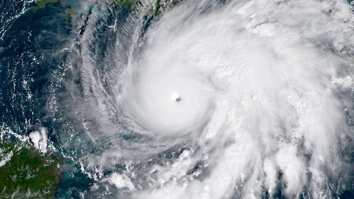
Комитет Всемирной метеорологической организации по ураганам принял решение исключить имя «Мелисса» из списка имен для тропических циклонов. Причина — катастрофические последствия урагана, обрушившегося на Карибский бассейн в октябре 2025 года. Новое имя, которое появится в списках, — «Молли». На пике мощности «Мелисса» достигла 5-й категории по шкале Саффира — Симпсона. Скорость ветра составляла 300 км/ч — это один из самых сильных ураганов, когда-либо выходивших на сушу в Атлантическом бассейне, наряду с «Дорианом» 2019 года и ураганом 1935 года. Основной удар стихии пришелся на Ямайку и Кубу. Штормовой нагон и ураганный ветер нанесли колоссальный ущерб инфраструктуре. Обильные осадки вызвали наводнения в Доминиканской Республике, Гаити, на Ямайке и Кубе. Число погибших превысило 90 человек — в основном на Ямайке, Гаити и других островных государствах. Для Ямайки «Мелисса» стала самым мощным ураганом в истории наблюдений. Генеральный секретарь ВМО Селеста Сауло подчеркнула, что, несмо
Оглавление

Комитет Всемирной метеорологической организации по ураганам принял решение исключить имя «Мелисса» из списка имен для тропических циклонов. Причина — катастрофические последствия урагана, обрушившегося на Карибский бассейн в октябре 2025 года. Новое имя, которое появится в списках, — «Молли».

На пике мощности «Мелисса» достигла 5-й категории по шкале Саффира — Симпсона. Скорость ветра составляла 300 км/ч — это один из самых сильных ураганов, когда-либо выходивших на сушу в Атлантическом бассейне, наряду с «Дорианом» 2019 года и ураганом 1935 года.

Основной удар стихии пришелся на Ямайку и Кубу. Штормовой нагон и ураганный ветер нанесли колоссальный ущерб инфраструктуре. Обильные осадки вызвали наводнения в Доминиканской Республике, Гаити, на Ямайке и Кубе. Число погибших превысило 90 человек — в основном на Ямайке, Гаити и других островных государствах. Для Ямайки «Мелисса» стала самым мощным ураганом в истории наблюдений.

-2

Реакция ВМО

Генеральный секретарь ВМО Селеста Сауло подчеркнула, что, несмотря на разрушительную силу, число жертв могло быть гораздо выше — вплоть до тысяч. Точные прогнозы и системы раннего оповещения позволили вовремя эвакуировать людей и спасти множество жизней, а также защитить ключевые отрасли: транспорт, энергетику и рыболовство.

«Восстановление будет долгим и трудным. Но работа метеорологов и спасателей доказала свою эффективность», — заявила Сауло.

Почему меняют имена ураганов

ВМО исключает имена ураганов, которые принесли особенно тяжелые последствия, чтобы не травмировать пострадавшие регионы и не создавать путаницы в исторических архивах. Теперь «Мелисса» навсегда останется в истории метеонаблюдений, а в будущих сезонах ее заменит «Молли».

Что такое тайфун и как он выглядит. В чем разница между тайфуном, ураганом и циклоном

Самые страшные ураганы в истории

Читайте «Мою Планету» в Telegram