Найти в Дзене

Саркома - это не приговор

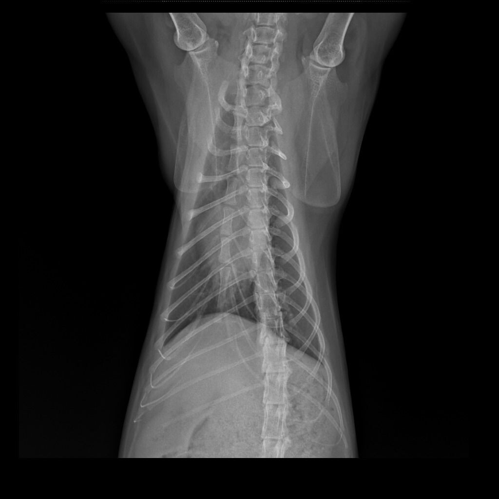
26.07.25. Балаково Моя передержка Всем большой привет от   Бритни. Напомню: Бритни год назад был выставлен диагноз - саркома нижней челюсти. У кошечки не только челюсть была уродливо огромных размеров, но и вся красвая мордашка перекошена только в фильмах ужасов сниматься. Челюсть, гортань, язык были онемевшие, кошечка не могла есть, пить и соотаетстаенно очень сильно похудела. Я писала несколько постов о поиске кураторов из больших городов, где имеются оснащенные ветклиники и онкологи. Но в ответ - тишина.  Возраст кошески примерно 10 лет. У меня живет уже 7 лет. Было два неудачных пристройства. Кошечка никогда ничем не болела. Никогда. И вдруг сразу онкология.  Мы прошли несколько курсов поддерживающей терапии  . В мае кошечка стала тяжело дышать, с приствистом. Меня это напрягло. Сделали рентген. Метастазов в легком нет.  На данный момегт кошеска живет обычной жизнью. Как видно по фото , она не худая, не изможденная. Челюсть удалось уменьшить. Кушает хорошо, может сухой корм кушать,

26.07.25. Балаково

Моя передержка

Всем большой привет от 

 Бритни. Напомню: Бритни год назад был выставлен диагноз - саркома нижней челюсти.

У кошечки не только челюсть была уродливо огромных размеров, но и вся красвая мордашка перекошена только в фильмах ужасов сниматься. Челюсть, гортань, язык были онемевшие, кошечка не могла есть, пить и соотаетстаенно очень сильно похудела. Я писала несколько постов о поиске кураторов из больших городов, где имеются оснащенные ветклиники и онкологи. Но в ответ - тишина. 

Возраст кошески примерно 10 лет. У меня живет уже 7 лет. Было два неудачных пристройства. Кошечка никогда ничем не болела. Никогда. И вдруг сразу онкология. 

Мы прошли несколько курсов поддерживающей терапии 

. В мае кошечка стала тяжело дышать, с приствистом. Меня это напрягло. Сделали рентген. Метастазов в легком нет. 

На данный момегт кошеска живет обычной жизнью. Как видно по фото , она не худая, не изможденная. Челюсть удалось уменьшить. Кушает хорошо, может сухой корм кушать, дыхание ровное. К сожалению, санацию полости рта проводить нельзя, неизвестно, как отреагирует опухоль. 

Так что мы вам всем передаем теплый привет. Все у нас хорошо. Живем и наслаждаемся жизнью. 

Онкология-это не приговор, а всего лишь болезнь, которую нужно лечить. Онкологов у нас нет, оборудования нет. Врачи общей практики, но им приходится отдуваться и за онколоов, гинекологов, неврологов. Главное - не стоять на месте. 

Мы против эвтаназии и на собственном примере моей многочисленной передержки сложных животных это показываем 

Бритни здоровья! 

Всем добра и долголетия! 

Фото снимков рентгена прилагаются. 

Фото чека прилагается. Огромное спасибо Ирине Ч за помощь в оплате услуги. 

-2

-3

-4

-5