Добавить в корзинуПозвонить
Найти в Дзене

Проверяем черный эбен на подлинность

Изготавливаю кресты и христианские украшения ручной работы, как правило из ценных пород древесины. Иногда, если не успеваю, использую дерево из источников, которые поставят быстрее чем проверенные. Регулярно получаю вопросы по теме качества дерева ценных пород, его свойств и особенностей. Решил сегодня взять несколько образцов и выяснить разницу между дорогостоящим черным эбеном, эбеном макассар, эбеном с маркетплейса в виде готового изделия и сравнил с черным грабом, и даже окрашенной фанерой.
Специально позвонил в одну из крупных судебно-медицинских лабораторий, которые занимаются подтверждением подлинности дерева. Выяснить, есть ли такая услуга по проверке и экспертизе изделия из эбена и какая стоимость такой услуги. Оказалось, цена за анализ под микроскопом 60 тыс руб, с выдачей сертификата или справки о подлинности. Конечно же я решил самостоятельно включить микроскоп и посмотреть разницу между несколькими видами дерева. Предварительно опишу в чем разница, с позиции человека, к
Оглавление

Изготавливаю кресты и христианские украшения ручной работы, как правило из ценных пород древесины. Иногда, если не успеваю, использую дерево из источников, которые поставят быстрее чем проверенные. Регулярно получаю вопросы по теме качества дерева ценных пород, его свойств и особенностей.

Решил сегодня взять несколько образцов и выяснить разницу между дорогостоящим черным эбеном, эбеном макассар, эбеном с маркетплейса в виде готового изделия и сравнил с черным грабом, и даже окрашенной фанерой.

Экспертиза черного эбена в лаборатории

Специально позвонил в одну из крупных судебно-медицинских лабораторий, которые занимаются подтверждением подлинности дерева. Выяснить, есть ли такая услуга по проверке и экспертизе изделия из эбена и какая стоимость такой услуги.

Оказалось, цена за анализ под микроскопом 60 тыс руб, с выдачей сертификата или справки о подлинности.

Конечно же я решил самостоятельно включить микроскоп и посмотреть разницу между несколькими видами дерева. Предварительно опишу в чем разница, с позиции человека, который будет этот кусочек эбена исследовать сам.

Как проверить подлинность черного эбена самостоятельно?

1. Классическая схема это бросить его в воду, он утонет, потому что его плотность довольно высока.

2. Поджечь / нагреть кусочек или стружку - запах будет несколько раздражающий, но приятный, с оттенками шоколада, особенно если это мадагаскарский эбен.

3.Не каждый эбен блестит, т.к. если его не шлифовать до блеска, он будет матовым, при этом видов эбенового дерева несколько, поэтому блеск не признак, что это не эбен.

4.Пористый эбен мягкий и может даже получать царапины от ногтя. Царапины тоже не критерий.

5.Маслянистость. У эбенового дерева всегда смола, поэтому оно и тонет в воде, а если его нагревать будет много дыма, даже при не самой высокой температуре.

6.Проверка на лазере, эбен плохо размечается лазерным лучом, если его долго резать таким лучом, он горит по краям, но рисунок плохо прорабатывается, это проверить могут только владельцы лазерных станков.

7. При шлифовке, даже самой мелкой гридностью эбен будет давать крупные кусочки пыли, которая не летает.

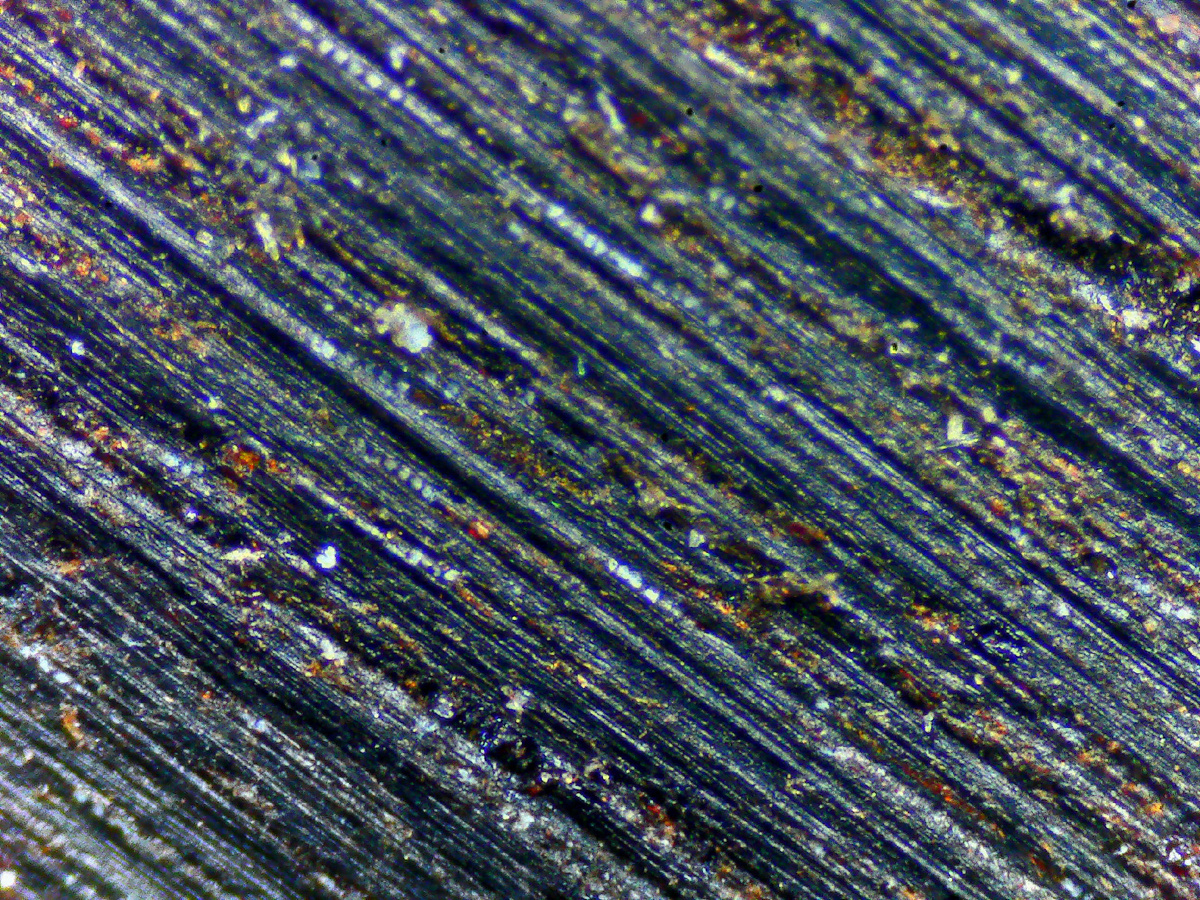
Перейдем к исследованию эбенового дерева под микроскопом.

Микроскоп у меня обыкновенный, недорогой с алиэкспресс, а также девайс, который позволяет выводить на экран монитора изображение с этого микроскопа. Линзы немного в пятнах, но как есть.

Берем черный эбен, из наиболее пористых вариантов. Этот эбен имеет на структуре видимые светлые волокна.

Эбен под увеличением
Эбен под увеличением
Эбен под увеличением немного меньше крастность
Эбен под увеличением немного меньше крастность

Теперь берем эбен макассар

Макассар под микроскопом
Макассар под микроскопом

Пламенный эбен

Пламенный эбен
Пламенный эбен
Исследование пламенного эбена
Исследование пламенного эбена

Эбен на покупном изделии

Изделие из эбена
Изделие из эбена
Изделие из черного эбена
Изделие из черного эбена

На каждом из подвидов заметна смола и черный цвет самого дерева. Хотя дерево тоже может быть более светлым, особенно при приближении к заболони ствола.

Черный граб как подделка эбена?

Как известно, основные подделки производятся из недорогого граба, который предварительно делают черным. Хотя отличить несложно даже по весу изделия.

  • Граб очень легкий
  • Граб не имеет светлых волокон
  • Граб полностью черный, а если плохо прочернился, то светлая часть будет целыми пятнами, обычно прямо в сердцевине бруска
  • Граб не тонет в воде

Проверяем граб под микроскопом

Черный граб
Черный граб
Граб под микроскопом
Граб под микроскопом
Граб
Граб

Видно, что отличие значительное, совершенно нет смол при увеличении, это и понятно, т.к. он легкий.

Окрашенная черная фанера

Заодно проверим, как же выглядит фанера под микроскопом

Фанера тоже черная, окрашенная скорее всего морилкой, но выглядит вполне прилично.

Фанера под микроскопом
Фанера под микроскопом

Твердый пластик как подделка эбенового дерева?

Есть еще один вид материала, который можно принять за эбеновое дерево, если были в Египте, знаете, что в магазинах, где продаются туристические сувениры, можно купить фигурку из камня. Только стоит она очень и очень мало, что удивляет, ведь камень довольно сложная вещь в обработке. Логично, что эти фигурки не из камня, а утяжеленного пластика под камень. Что мешает подделать эбен?

Проверяем несколько видов пластика под микроскопом

Пластик черный
Пластик черный
Пластик черный
Пластик черный
Пластик черный
Пластик черный
Пластик черный
Пластик черный

Четко видно, что это не дерево, местами даже тянутся волокна, как при плавящемся изделии из пластика, в других образцах все идет не волокнами как в дереве, а пупырышками или волнами.

Заключение по исследованию подлинности эбена

Для себя я сделал заключение, что в данном случае необходимости обращаться к экспертному мнению нет необходимости, т.к. имея микроскоп, как основной инструмент для анализа, можно отличить породу дерева и понять подделка это или настоящее ценное дерево.

Прикреплю и фотографии дерева, которое исследовалось.

Образцы для исследования, вверху эбены, слева внизу фанера, справа внизу граб.
Образцы для исследования, вверху эбены, слева внизу фанера, справа внизу граб.

Небольшая часть изделий и крестов ручной работы на сайте Мистории в группе ВК и более полный каталог на сайте ярмарки мастеров.

С вопросами и заказами на кресты ручной работы обращаться лучше в группу ВК.

Леса
8465 интересуются