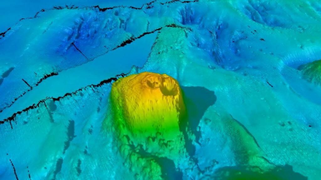
Исследовательская экспедиция в Южном океане нанесла на карту ряд подводных гор, которые помогают сформировать Антарктическое циркумполярное течение. Новые карты морского дна в высоком разрешении на полпути между Тасманией и Антарктидой выявили цепь подводных вулканов, чьи высокие вершины могут формировать океанские течения над ними. Подводные вулканы, или подводные горы, расположены на высоте 4 000 метров ниже волн и прямо на пути самого сильного океанского течения на Земле — Антарктического циркумполярного течения. Оно движется по часовой стрелке вокруг Антарктиды и действует как барьер, который помогает удерживать ледяной покров континента. Теперь ученые нанесли на карту область, где протекает этот барьер, что позволяет водоворотам теплой воды достигать берегов Антарктиды. Карта района исследований с вновь открытыми подводными горами Южного океана. Изображение предоставлено: FOCUS voyage/CSIRO Этот регион — «ворота, через которые тепло направляется в Антарктиду, что способствует таян
Опубликована карта цепь древних подводных вулканов на дне Антарктического океана
22 декабря 202322 дек 2023
27
1 мин
