Найти в Дзене
Войти
1,0×
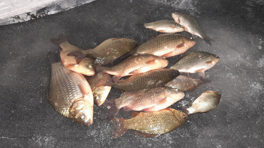
ЗАКРЫТИЕ ЗИМНЕГО СЕЗОНА 2024 - 2025... РЫБАЛКА СУПЕР!!! Карась порадовал своими поклёвками.
58 просмотров · 8 месяцев назад
00:00
/
30:39
МАКС И РЫБАЛКА
213 подписчиков
Подписаться
3552684348.1683.1766334739133.81139