Удивительный остров в Индийском океане, который похож на другую планету
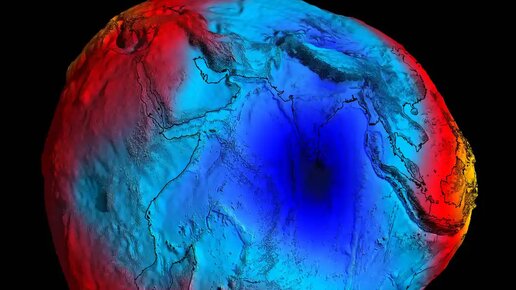
Индийский океан имеет самый крупный в мире гравитационный колодец. Теперь мы знаем, почему
Семьдесят пять лет спустя с момента обнаружения этой аномалии, ученые наконец поняли, почему уровень моря здесь значительно ниже. Ключевые мысли: Уважаемый Индийский океан, прошу вас не обижаться, но: Почему ваша гравитационная аномалия так велика? Этот вопрос сбивал с толку ученых с того момента, как аномалия была обнаружена в 1948 году. Теперь команда из Индийского института науки (IISc) думает, что нашла ответ: "дыра" в Индийском океане вызвана обломками затонувшего дна другого, гораздо более древнего океана...
13 Самых интересных фактов об Индийском океане. Почитайте, и вы узнаете много интересного.
2)Индийский океан - это третий по площади и глубине океан Земли. 3)Индийский океан - самый тёплый из всех океанов. 4) Впадина Индийского океана образовалась около 150 млн лет назад из за раскола единого материка Гондвана: Африка, Евразия, Австралия, Антарктида. Современные очертания океан приобрёл только 25 млн лет назад. 5)Древние Греки называли Индийский океан - Эритрейским морем. 6) Промышленное рыболовство тут развито слабо, меньше, чем здесь, рыбы вылавливают только в Северном Ледовитом океане...