Как я спасла грушу от ржавчины? Вот лучшее средство для обработки груш от ржавчины и других болезней
Ржавчина груши. Распознаем недуг и причины появления
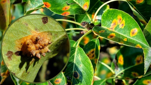
Ржавчина груши – это грибковое заболевание, которое поражает грушевые деревья. Оно вызывает появление характерных симптомов на листьях, плодах и побегах груши. Воздушные споры гриба распространяются во влажных и ветреных условиях, заражая соседние растения. Хотите получать рассылку 📨 об актуальных обработках и сезонные рекомендации по уходу за садом точно в срок? Подписывайтесь на мою🌿 рассылку тут. Как распознать ржавчину груши Основные признаки ржавчины груши включают появление оранжевых или ржаво-красных пятен на листьях, которые затем расширяются и образуют утолщения или опухоли...
Как бороться с паршой и ржавчиной у груши - химией или огнем и мечом?
Почему полезно включать мозги почаще
Рейтинг химических средств садоводов-дачников для борьбы с паршой груши и ее возбудителем - грибком Venturia pirina возглавляет бордосская жидкость.
На втором месте хлорокись меди - препараты с самыми разными названиями Абига-Пик, Скор, Дискор, Строби, Хранитель...