Найти в Дзене
ГосземляРФ

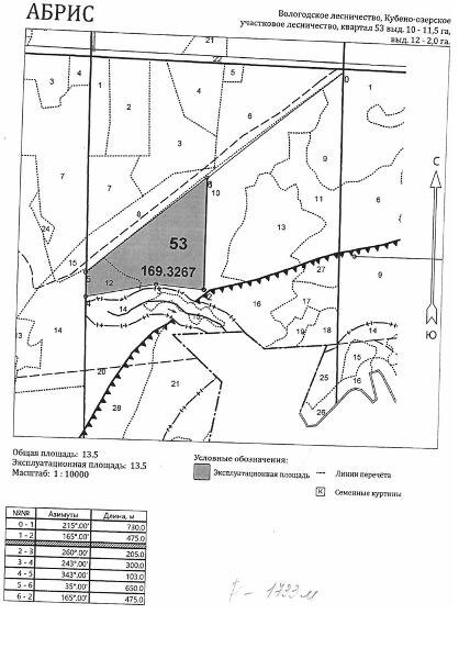
Название: Лесные насаждения, расположенные в Вологодской области, Вологодском муниципальном округе, Вологодском лесничестве, Кубено-Озерском

участковом лесничестве, квартале № 53, выделах №№ 10,12, лесосека № 1 Канал: Госземля Вологодская область Область: - Район: - Населенный пункт: - Локация: Смотреть на карте ВРИ: Заготовка древесины Кадастровый номер: 35:25:0000000:335 Кадастровая стоимость: - Вид сделки: Продажа Площадь: 135000 м² Начальная цена: 1989623.00 руб. Дата завершения: 27.04.2026 Подробнее: ГИС ТОРГИ #госземля #земляотгосударства #земля #земельныйучасток #земельныеторги #торги #аукцион #продажаземли #продажа #вологодскаяобласть

Название: Лесные насаждения, расположенные в Вологодской области, Вологодском муниципальном округе, Вологодском лесничестве, Кубено-Озерском участковом лесничестве, квартале № 53, выделах №№ 10,12, лесосека № 1

Канал: Госземля Вологодская область

Область: -

Район: -

Населенный пункт: -

Локация: Смотреть на карте

ВРИ: Заготовка древесины

Кадастровый номер: 35:25:0000000:335

Кадастровая стоимость: -

Вид сделки: Продажа

Площадь: 135000 м²

Начальная цена: 1989623.00 руб.

Дата завершения: 27.04.2026

Подробнее: ГИС ТОРГИ

#госземля #земляотгосударства #земля #земельныйучасток #земельныеторги #торги #аукцион #продажаземли #продажа #вологодскаяобласть