Добавить в корзинуПозвонить
Найти в Дзене

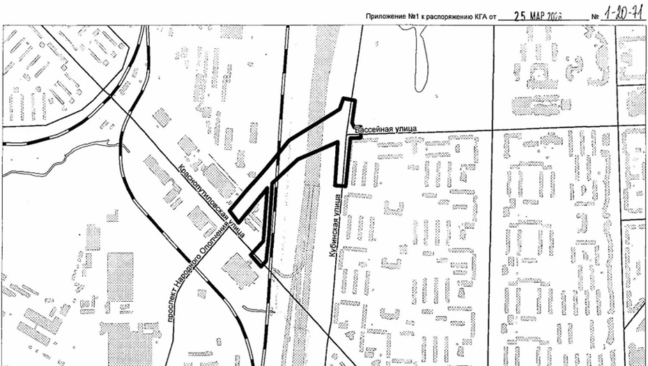
Петербург вернулся к строительству подземных тоннелей

Петербург возвращается к строительству транспортных тоннелей. На прошлой неделе вышел документ о подготовке проекта планировки территории, предусматривающего размещение такого тоннеля под ЗСД и железнодорожными путями. Он соединит Бассейную улицу и проспект Народного Ополчения. Сооружение, судя по всему, рассчитано на большой трафик, так как включает в себя от четырёх до шести полос. Проект должен быть готов в феврале 2027 года, после чего можно будет приступать к проектированию и строительству самого объекта. Ещё раньше городские власти приняли решение о прокладке крупного транспортного тоннеля в центре города — фактически под Московским вокзалом. Его обещают построить в 2028 году. Но это — часть грандиозного проекта ВСМ, и его возведение во многом вопрос престижа. А тоннель под ЗСД — в общем–то обычный городской транспортный объект, который, впрочем, может сильно разгрузить прилегающие улицы. В последний раз тоннель в черте Петербурга открывали в 2019 году — это был объект в составе

Петербург возвращается к строительству транспортных тоннелей. На прошлой неделе вышел документ о подготовке проекта планировки территории, предусматривающего размещение такого тоннеля под ЗСД и железнодорожными путями. Он соединит Бассейную улицу и проспект Народного Ополчения.

Автор фото: Владислав Ногай / ТАСС
Автор фото: Владислав Ногай / ТАСС

Сооружение, судя по всему, рассчитано на большой трафик, так как включает в себя от четырёх до шести полос. Проект должен быть готов в феврале 2027 года, после чего можно будет приступать к проектированию и строительству самого объекта.

Ещё раньше городские власти приняли решение о прокладке крупного транспортного тоннеля в центре города — фактически под Московским вокзалом. Его обещают построить в 2028 году. Но это — часть грандиозного проекта ВСМ, и его возведение во многом вопрос престижа. А тоннель под ЗСД — в общем–то обычный городской транспортный объект, который, впрочем, может сильно разгрузить прилегающие улицы.

В последний раз тоннель в черте Петербурга открывали в 2019 году — это был объект в составе федеральной трассы М–11. А силами города такое сооружение строили вообще 10 лет назад — на Синопской набережной. Гораздо активнее Смольный проектирует и строит путепроводы. Причина очевидна — они дешевле. Ссылки на сложные петербургские грунты несостоятельны, говорят эксперты. Давно разработаны технологии, позволяющие возводить объекты любой сложности даже в центре города, в окружении ценной исторической застройки.

Автор фото: КГА. Схема расположения будущего тоннеля на просп. Народного Ополчения.
Автор фото: КГА. Схема расположения будущего тоннеля на просп. Народного Ополчения.

Так, например, ещё в советское время был разработан проект строительства тоннеля под площадью Восстания. По нему Лиговский проспект "нырял" под землю, не вставая в пробки, как и Невский над ним.

Можно взять и более свежие примеры. Один из первоначальных вариантов развязки ЗСД с Благодатной улицей предполагал тоннель под Митрофаньевским шоссе. В итоге сэкономили — и шоссе перед заездом на платную трассу стоит в пробке практически всегда.

Важное преимущество тоннелей в том, что они не занимают много ценного места на поверхности и не портят виды. Поэтому, начав строить в городе тоннели, можно задуматься и о подземных улицах, паркингах, торговых и бизнес–центрах. И окажется, что какое–нибудь спорное здание проще упрятать под землю, чем выслушивать возмущённых горожан. Да и скандальных сносов, вероятно, станет поменьше.