Добавить в корзинуПозвонить
Найти в Дзене
ГосземляРФ

Название: указан в разделе документы

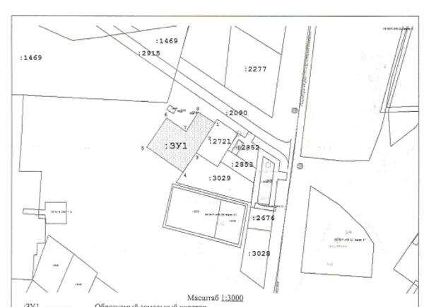
Канал: Госземля Республика Башкортостан Область: - Район: - Населенный пункт: - Локация: Смотреть на карте ВРИ: Для ведения личного подсобного хозяйства (приусадебный земельный участок) Кадастровый номер: 02:31:010701:1 Кадастровая стоимость: - Вид сделки: Не определён Площадь: 2000 м² Начальная цена: - руб. Дата завершения: 26.04.2026 Подробнее: ГИС ТОРГИ #госземля #земляотгосударства #земля #земельныйучасток #земельныеторги #торги #аукцион #не определёнземли #не определён #республикабашкортостан

Название: указан в разделе документы

Канал: Госземля Республика Башкортостан

Область: -

Район: -

Населенный пункт: -

Локация: Смотреть на карте

ВРИ: Для ведения личного подсобного хозяйства (приусадебный земельный участок)

Кадастровый номер: 02:31:010701:1

Кадастровая стоимость: -

Вид сделки: Не определён

Площадь: 2000 м²

Начальная цена: - руб.

Дата завершения: 26.04.2026

Подробнее: ГИС ТОРГИ

#госземля #земляотгосударства #земля #земельныйучасток #земельныеторги #торги #аукцион #не определёнземли #не определён #республикабашкортостан