Найти в Дзене

В Петербурге собираются построить тоннель под ЗСД и железной дорогой

В Петербурге хотят построить автомобильный тоннель, который позволит разгрузить Кировский и Московский районы. Последний раз подобное полноценное дорожное сооружение в городе открыли почти 7 лет назад. Комитет по градостроительству и архитектуре (КГА) выдал задание на подготовку проекта планировки территории (ППТ) для размещения продолжения проспекта Народного Ополчения. Об этом стало известно в среду, 25 марта. Согласно документу, проспект продлят от Краснопутиловской улицы до Кубинской улицы. Дорога будет иметь от четырёх до шести полос. Ожидается, что она позволит улучшить связь Кировского и Московского районов. Документацию разработает СПб ГКУ "Дирекция транспортного строительства". "Настоящее распоряжение подлежит опубликованию в установленном порядке и действует до 4 марта 2027 года. Срок предоставления документации по планировке территории — не позднее 4 февраля 2027 года", — говорится в тексте задания. Примечательно, что в проект также входит строительство тоннеля от проспекта
   Схема расположения будущего тоннеля на просп. Народного Ополчения Автор фото: КГА
Схема расположения будущего тоннеля на просп. Народного Ополчения Автор фото: КГА

В Петербурге хотят построить автомобильный тоннель, который позволит разгрузить Кировский и Московский районы. Последний раз подобное полноценное дорожное сооружение в городе открыли почти 7 лет назад.

Комитет по градостроительству и архитектуре (КГА) выдал задание на подготовку проекта планировки территории (ППТ) для размещения продолжения проспекта Народного Ополчения. Об этом стало известно в среду, 25 марта.

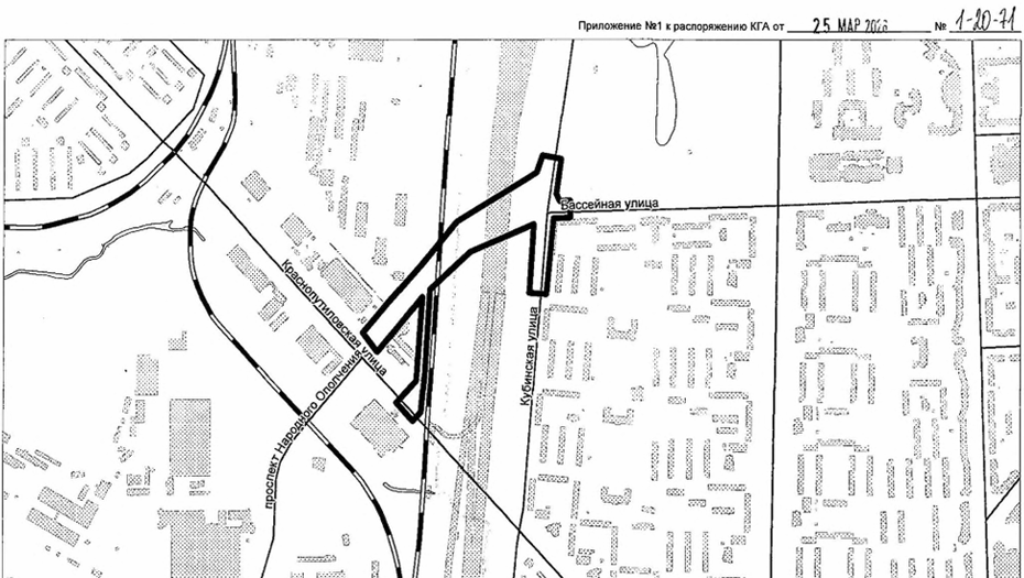
Согласно документу, проспект продлят от Краснопутиловской улицы до Кубинской улицы. Дорога будет иметь от четырёх до шести полос. Ожидается, что она позволит улучшить связь Кировского и Московского районов.

Документацию разработает СПб ГКУ "Дирекция транспортного строительства".

"Настоящее распоряжение подлежит опубликованию в установленном порядке и действует до 4 марта 2027 года. Срок предоставления документации по планировке территории — не позднее 4 февраля 2027 года", — говорится в тексте задания.

Примечательно, что в проект также входит строительство тоннеля от проспекта Народного Ополчения до Бассейной улицы.

Эксперты отмечают, что последний раз тоннель открывали в составе трассы М-11 в 2019 году под железной дорогой. В 2017-м также был открыт тоннель на Синопской набережной у моста Александра Невского. Другой, более ранний пример, который приводит директор Ассоциации предприятий дорожно-мостового комплекса Санкт-Петербурга "Дормост" Кирилл Иванов, — запуск тоннеля от Ломоносова до Кронштадта в 2011 году.

"Тоннели — действительно редкое явление для Петербурга. Их важное преимущество — относительная компактность и меньшее влияние на окружающую среду по сравнению с эстакадами. В случае с данным объектом в пользу тоннеля говорит необходимость разойтись с Балтийским ходом железной дороги, идущим на насыпи, и эстакадами ЗСД. Для того чтобы "перепрыгнуть" их путепроводом, нужен очень длинный разгон, на который, особенно со стороны Московского района, нет места из-за жилой застройки и парка Авиаторов. В то же время "подкопаться" под ж.-д. насыпь (как это было с М-11) может быть проще. Под ЗСД аналогично — там уже эстакада", — говорит руководитель проектов в компании STEP City Георгий Фролов.

Эксперты называют данный объект полезным: в южной части города на данный момент недостаточно связей между районами.

"Риском становится то, что коридор "Народного Ополчения — Бассейная" пересекает ряд других крупных поперечных коридоров: Ленинский проспект и Краснопутиловскую улицу. Сонаправленные потоки в таких узлах могут мешать друг другу, поэтому очень важно, чтобы проектировщики подобрали особую конфигурацию для пересечений, минимизировав конфликтные манёвры", — считает Георгий Фролов.

Опрошенные "ДП" эксперты отмечают, что Петербургу необходимы связи через ж.-д. пути именно в виде тоннелей, а не эстакад.

Ещё один тоннель, который сейчас проектируют в Петербурге, — у моста Александра Невского. "ДП" писал о нём прошлой осенью. Он входит в проект строительства правобережного съезда с моста с реконструкцией Малоохтинского проспекта. Согласно данным ЕИС "Закупки", разработкой документации занимается ООО "Интехпроект" за 106,9 млн рублей. Исполнить контракт требуется до середины декабря 2026 года.

Тоннель под железной дорогой у Московского вокзала может занять до шести полос. Речь идёт о продлении улицы Черняховского от Кременчугской улицы до Транспортного переулка с тоннелем под ж.-д. путями в створе Товарного переулка. ППТ было необходимо подготовить к февралю 2026 года, однако в марте КГА отменил распоряжение.

В Петербурге планируют проложить пешеходный тоннель под Арсенальной набережной к тюрьме "Кресты". Подробнее читайте в материале "ДП".

Читать статью на сайте