Добавить в корзинуПозвонить
Найти в Дзене
ГосземляРФ

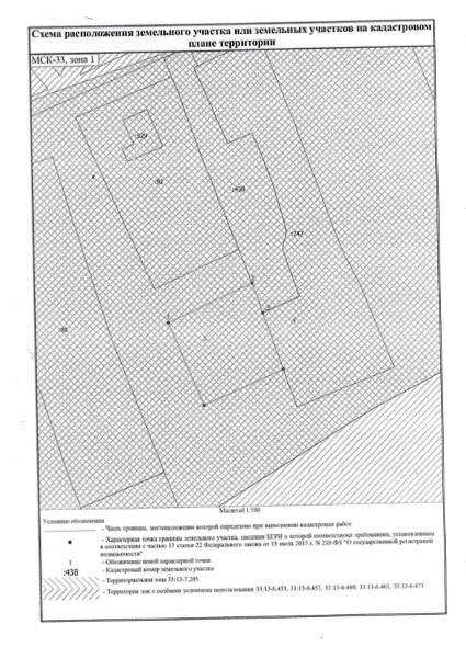
Название: земельный участок расположен с северной стороны земельного участка с кадастровым номером: 33:13:060117:728, расположенного по

адресу: Российская Федерация, Владимирская область, Петушинский район, МО Нагорное (сельское поселение), д. Красный Луч Канал: Госземля Владимирская область Область: обл. Владимирская Район: г.о. Покров Населенный пункт: д. Красный Луч Локация: Смотреть на карте ВРИ: Для ведения личного подсобного хозяйства (приусадебный земельный участок) Кадастровый номер: 33:13:000000:0001 Кадастровая стоимость: - Вид сделки: Продажа Площадь: 400 м² Начальная цена: - руб. Дата завершения: 26.04.2026 Подробнее: ГИС ТОРГИ #госземля #земляотгосударства #земля #земельныйучасток #земельныеторги #торги #аукцион #продажаземли #продажа #владимирскаяобласть

Название: земельный участок расположен с северной стороны земельного участка с кадастровым номером: 33:13:060117:728, расположенного по адресу: Российская Федерация, Владимирская область, Петушинский район, МО Нагорное (сельское поселение), д. Красный Луч

Канал: Госземля Владимирская область

Область: обл. Владимирская

Район: г.о. Покров

Населенный пункт: д. Красный Луч

Локация: Смотреть на карте

ВРИ: Для ведения личного подсобного хозяйства (приусадебный земельный участок)

Кадастровый номер: 33:13:000000:0001

Кадастровая стоимость: -

Вид сделки: Продажа

Площадь: 400 м²

Начальная цена: - руб.

Дата завершения: 26.04.2026

Подробнее: ГИС ТОРГИ

#госземля #земляотгосударства #земля #земельныйучасток #земельныеторги #торги #аукцион #продажаземли #продажа #владимирскаяобласть