Добавить в корзинуПозвонить
Найти в Дзене
ГосземляРФ

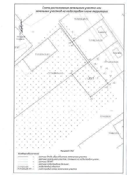
Название: Земельный участок

Канал: Госземля Тульская область Область: обл Тульская Район: м.р-н Кимовский Населенный пункт: с.п. Новольвовское, с Краснополье Тульская область, Кимовский район, с. Краснополье, примерно в 31 м на юго-запад от дома № 12 Локация: Смотреть на карте ВРИ: Жилая застройка Кадастровый номер: 71:11:000000:04 Кадастровая стоимость: - Вид сделки: Аренда Площадь: 1074 м² Начальная цена: - руб. Дата завершения: 01.05.2026 Подробнее: ГИС ТОРГИ #госземля #земляотгосударства #земля #земельныйучасток #земельныеторги #торги #аукцион #арендаземли #аренда #тульскаяобласть

Название: Земельный участок

Канал: Госземля Тульская область

Область: обл Тульская

Район: м.р-н Кимовский

Населенный пункт: с.п. Новольвовское, с Краснополье Тульская область, Кимовский район, с. Краснополье, примерно в 31 м на юго-запад от дома № 12

Локация: Смотреть на карте

ВРИ: Жилая застройка

Кадастровый номер: 71:11:000000:04

Кадастровая стоимость: -

Вид сделки: Аренда

Площадь: 1074 м²

Начальная цена: - руб.

Дата завершения: 01.05.2026

Подробнее: ГИС ТОРГИ

#госземля #земляотгосударства #земля #земельныйучасток #земельныеторги #торги #аукцион #арендаземли #аренда #тульскаяобласть