Добавить в корзинуПозвонить
Найти в Дзене
ГосземляРФ

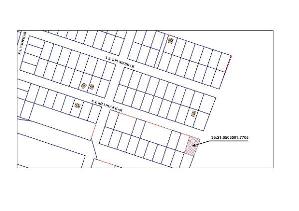
Название: Земельный участок с кадастровым номером 35:21:0503001:7706, площадью 901 кв

м, категория земель - земли населенных пунктов, разрешенное использование: для индивидуального жилищного строительства, местоположение: Российская Федерация, Вологодская область, городской округ город Череповец, город Череповец. Канал: Госземля Вологодская область Область: обл. Вологодская Район: г.о. город Череповец Населенный пункт: г. Череповец Локация: Смотреть на карте ВРИ: Для индивидуального жилищного строительства Кадастровый номер: 35:21:0503001:7706 Кадастровая стоимость: - Вид сделки: Продажа Площадь: 901 м² Начальная цена: 1164000.00 руб. Дата завершения: 14.04.2026 Подробнее: ГИС ТОРГИ #госземля #земляотгосударства #земля #земельныйучасток #земельныеторги #торги #аукцион #продажаземли #продажа #вологодскаяобласть

Название: Земельный участок с кадастровым номером 35:21:0503001:7706, площадью 901 кв. м, категория земель - земли населенных пунктов, разрешенное использование: для индивидуального жилищного строительства, местоположение: Российская Федерация, Вологодская область, городской округ город Череповец, город Череповец.

Канал: Госземля Вологодская область

Область: обл. Вологодская

Район: г.о. город Череповец

Населенный пункт: г. Череповец

Локация: Смотреть на карте

ВРИ: Для индивидуального жилищного строительства

Кадастровый номер: 35:21:0503001:7706

Кадастровая стоимость: -

Вид сделки: Продажа

Площадь: 901 м²

Начальная цена: 1164000.00 руб.

Дата завершения: 14.04.2026

Подробнее: ГИС ТОРГИ

#госземля #земляотгосударства #земля #земельныйучасток #земельныеторги #торги #аукцион #продажаземли #продажа #вологодскаяобласть