Добавить в корзинуПозвонить
Найти в Дзене
ГосземляРФ

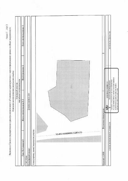
Название: Российская Федерация, Вологодская область, муниципальный округ Кирилловский, площадью 55000 кв

метров, категория земель: земли сельскохозяйственного назначения, с видом разрешенного использования - для сельскохозяйственного использования Канал: Госземля Вологодская область Область: - Район: - Населенный пункт: - Локация: Смотреть на карте ВРИ: Сельскохозяйственное использование Кадастровый номер: 35:05:0103002:225 Кадастровая стоимость: - Вид сделки: Аренда Площадь: 55000 м² Начальная цена: - руб. Дата завершения: 10.04.2026 Подробнее: ГИС ТОРГИ #госземля #земляотгосударства #земля #земельныйучасток #земельныеторги #торги #аукцион #арендаземли #аренда #вологодскаяобласть

Название: Российская Федерация, Вологодская область, муниципальный округ Кирилловский, площадью 55000 кв. метров, категория земель: земли сельскохозяйственного назначения, с видом разрешенного использования - для сельскохозяйственного использования

Канал: Госземля Вологодская область

Область: -

Район: -

Населенный пункт: -

Локация: Смотреть на карте

ВРИ: Сельскохозяйственное использование

Кадастровый номер: 35:05:0103002:225

Кадастровая стоимость: -

Вид сделки: Аренда

Площадь: 55000 м²

Начальная цена: - руб.

Дата завершения: 10.04.2026

Подробнее: ГИС ТОРГИ

#госземля #земляотгосударства #земля #земельныйучасток #земельныеторги #торги #аукцион #арендаземли #аренда #вологодскаяобласть