Найти в Дзене
ГосземляРФ

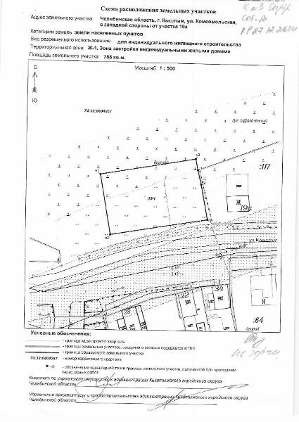
Название: Для индивидуального жилищного строительства

Канал: Госземля Челябинская область Область: обл Челябинская Район: г.о. Кыштымский Населенный пункт: г Кыштым ул. Комсомольская, с западной стороны от участка №19а Локация: Смотреть на карте ВРИ: Для индивидуального жилищного строительства Кадастровый номер: 74:32:0404057:532 Кадастровая стоимость: - Вид сделки: Продажа Площадь: 788 м² Начальная цена: 286485.00 руб. Дата завершения: 24.03.2026 Подробнее: ГИС ТОРГИ #госземля #земляотгосударства #земля #земельныйучасток #земельныеторги #торги #аукцион #продажаземли #продажа #челябинскаяобласть

Название: Для индивидуального жилищного строительства

Канал: Госземля Челябинская область

Область: обл Челябинская

Район: г.о. Кыштымский

Населенный пункт: г Кыштым ул. Комсомольская, с западной стороны от участка №19а

Локация: Смотреть на карте

ВРИ: Для индивидуального жилищного строительства

Кадастровый номер: 74:32:0404057:532

Кадастровая стоимость: -

Вид сделки: Продажа

Площадь: 788 м²

Начальная цена: 286485.00 руб.

Дата завершения: 24.03.2026

Подробнее: ГИС ТОРГИ

#госземля #земляотгосударства #земля #земельныйучасток #земельныеторги #торги #аукцион #продажаземли #продажа #челябинскаяобласть