Найти в Дзене

Камчатскую улицу у Волковского кладбища продлят до железнодорожной линии

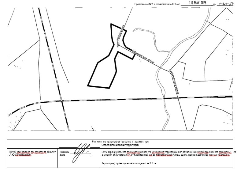
Камчатскую улицу во Фрунзенском районе Петербурга продлят до железной дороги. Опубликовано соответствующее распоряжение правительства. Заказчиком проекта выступает ГКУ "Дирекция транспортного строительства". Согласно документу, новая дорога свяжет Касимовскую улицу с перспективной магистралью, которая пройдёт вдоль железнодорожных путей. Указано, что развитие этого участка должно улучшить транспортную доступность кварталов в районе станции метро "Волковская". "Осуществить подготовку проекта планировки и проекта межевания территории для размещения линейного объекта регионального значения "Камчатская улица" от Касимовской улицы до Магистральной улицы вдоль железнодорожной линии с подходами", — указано в тексте документа. Ранее "ДП" писал, что у "Волковской" планируется построить вокзал для электричек, чтобы освободить Московский вокзал на фоне строительства высокоскоростной магистрали (ВСМ) Москва — Петербург. Чтобы на новый вокзал было удобно приезжать, запланировали не только строитель
   Автор фото: КГА
Автор фото: КГА

Камчатскую улицу во Фрунзенском районе Петербурга продлят до железной дороги. Опубликовано соответствующее распоряжение правительства.

Заказчиком проекта выступает ГКУ "Дирекция транспортного строительства".

Согласно документу, новая дорога свяжет Касимовскую улицу с перспективной магистралью, которая пройдёт вдоль железнодорожных путей.

Указано, что развитие этого участка должно улучшить транспортную доступность кварталов в районе станции метро "Волковская".

"Осуществить подготовку проекта планировки и проекта межевания территории для размещения линейного объекта регионального значения "Камчатская улица" от Касимовской улицы до Магистральной улицы вдоль железнодорожной линии с подходами", — указано в тексте документа.

Ранее "ДП" писал, что у "Волковской" планируется построить вокзал для электричек, чтобы освободить Московский вокзал на фоне строительства высокоскоростной магистрали (ВСМ) Москва — Петербург.

Чтобы на новый вокзал было удобно приезжать, запланировали не только строительство Камчатской улицы, но и реконструкцию Прогонной улицы, а также строительство Софийской. Там же будут проводить капитальный ремонт Нефтяного путепровода. Как ВСМ изменит транспортную инфраструктуру города, читайте в материале "Делового Петербурга".

Читать статью на сайте