Добавить в корзинуПозвонить
Найти в Дзене
ГосземляРФ

Название: Под хранение автотранспорта

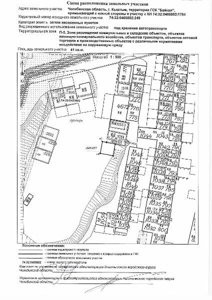
Канал: Госземля Челябинская область Область: обл Челябинская Район: г.о. Кыштымский Населенный пункт: г Кыштым территория ГСК "Байкал", примыкающий с южной стороны к участку с КН 74:32:0405002:1784 Локация: Смотреть на карте ВРИ: Хранение автотранспорта Кадастровый номер: 74:32:0405002:1919 Кадастровая стоимость: - Вид сделки: Аренда Площадь: 41 м² Начальная цена: 2544.00 руб. Дата завершения: 17.03.2026 Подробнее: ГИС ТОРГИ #госземля #земляотгосударства #земля #земельныйучасток #земельныеторги #торги #аукцион #арендаземли #аренда #челябинскаяобласть

Название: Под хранение автотранспорта

Канал: Госземля Челябинская область

Область: обл Челябинская

Район: г.о. Кыштымский

Населенный пункт: г Кыштым территория ГСК "Байкал", примыкающий с южной стороны к участку с КН 74:32:0405002:1784

Локация: Смотреть на карте

ВРИ: Хранение автотранспорта

Кадастровый номер: 74:32:0405002:1919

Кадастровая стоимость: -

Вид сделки: Аренда

Площадь: 41 м²

Начальная цена: 2544.00 руб.

Дата завершения: 17.03.2026

Подробнее: ГИС ТОРГИ

#госземля #земляотгосударства #земля #земельныйучасток #земельныеторги #торги #аукцион #арендаземли #аренда #челябинскаяобласть