Добавить в корзинуПозвонить
Найти в Дзене
«Рязанские новости»

В Рязанской области фотоловушки заповедника запечатлели животных в снегу

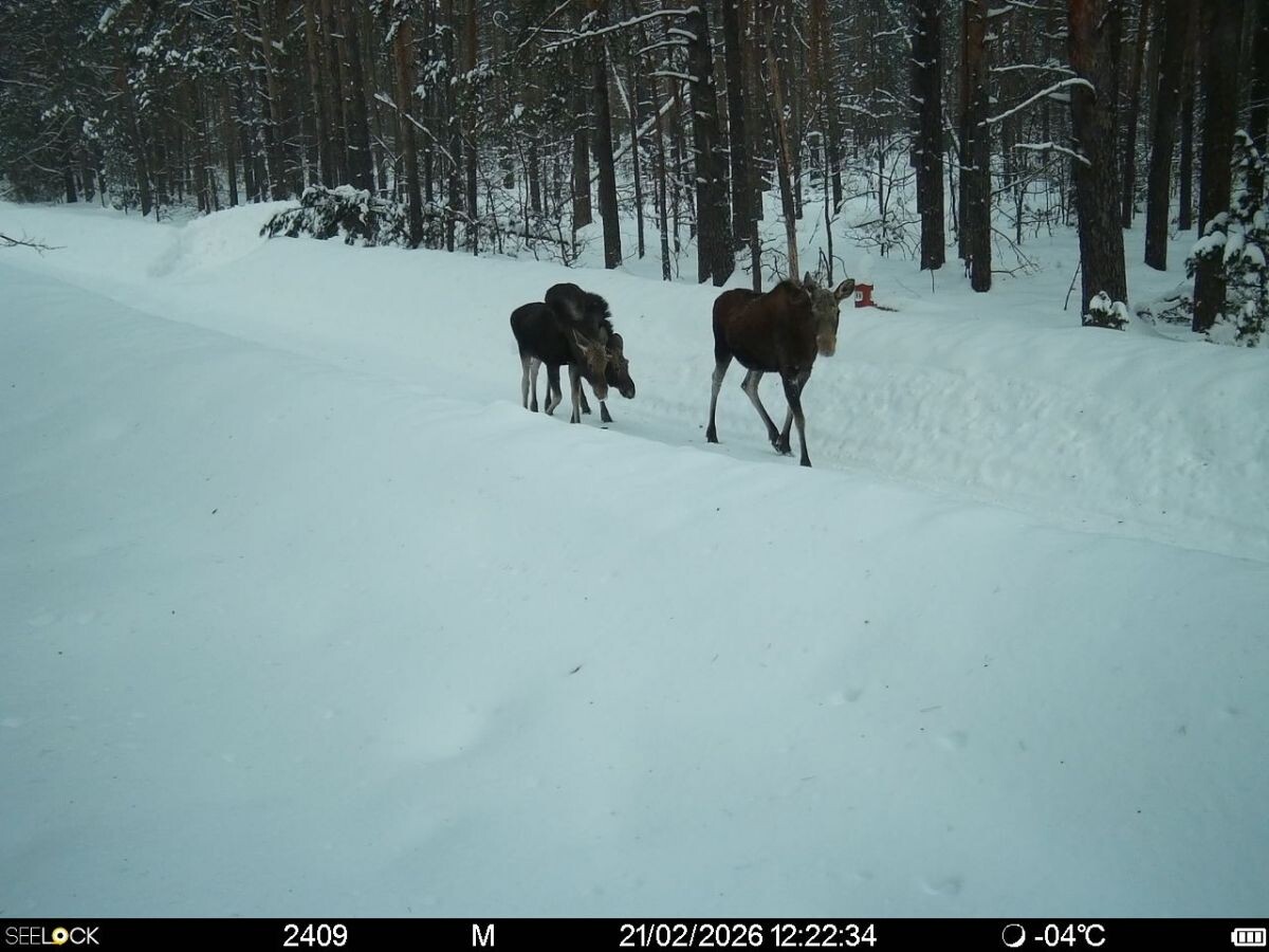
Сотрудники Окского государственного природного биосферного заповедника опубликовали свежие кадры с фотоловушек, расположенных на территории объекта. В этот раз запечатлеть удалось только лосей, волка и кабана. Животные перебираются через сугробы, высота снежного покрова в заповеднике превысила один метр.

Сотрудники Окского государственного природного биосферного заповедника опубликовали свежие кадры с фотоловушек, расположенных на территории объекта.

В этот раз запечатлеть удалось только лосей, волка и кабана. Животные перебираются через сугробы, высота снежного покрова в заповеднике превысила один метр.

Мария Труханова
Журналист