Найти в Дзене

Лечение переломов у карликовых пород собак

Наиболее частой причиной переломов у карликовых пород собак является травматизм: падение с рук, неудачные прыжки с мебели, нанесение травм более крупными собаками и др. Клинические симптомы перелома у собаки проявляются в виде: При обнаружении указанных симптомов необходимо обратиться за профессиональной ветеринарной помощью, чтобы определить характер патологии и выбрать правильный способ лечения животного. Мы используем клинико-ортопедическое обследование и рентгенографию конечности в двух взаимоперпендикулярных проекциях для выявления сложности перелома и степени смещения костных отломков, что и определит дальнейший метод лечения перелома. Наиболее типичным переломом у карликовых пород собак является поперечный простой перелом костей предплечья в нижней трети (на фото). Сложность лечения переломов у миниатюрных собак заключается в плохом кровообращении костных отломков, а также малом объеме мягких тканей непосредственно над костями. Поэтому консервативные (безоперационные) методы ле
Оглавление

Создать карусель
Создать карусель

Наиболее частой причиной переломов у карликовых пород собак является травматизм: падение с рук, неудачные прыжки с мебели, нанесение травм более крупными собаками и др.

Клинические симптомы перелома у собаки проявляются в виде:

  • отсутствия опороспособности на травмированную конечность,
  • деформации конечности
  • и болевого синдрома.
При обнаружении указанных симптомов необходимо обратиться за профессиональной ветеринарной помощью, чтобы определить характер патологии и выбрать правильный способ лечения животного.

Диагностика

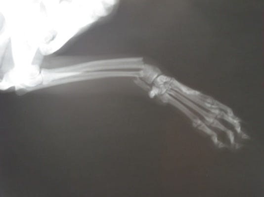
Мы используем клинико-ортопедическое обследование и рентгенографию конечности в двух взаимоперпендикулярных проекциях для выявления сложности перелома и степени смещения костных отломков, что и определит дальнейший метод лечения перелома.

Наиболее типичным переломом у карликовых пород собак является поперечный простой перелом костей предплечья в нижней трети (на фото).

Создать карусель
Создать карусель
Создать карусель
Создать карусель

Лечение

Сложность лечения переломов у миниатюрных собак заключается в плохом кровообращении костных отломков, а также малом объеме мягких тканей непосредственно над костями. Поэтому консервативные (безоперационные) методы лечения переломов (гипсовые и полимерные лонгеты) имеют ограниченное применение, т.к. зачастую приводят к несращению отломков или образованию пролежней над костными выступами. А лечение нестабильными способами остеосинтеза (спица, установленная внутри костного канала +/- гипс/лонгета) может оказаться непредсказуемым и в некоторых случаях также привести к несращению отломков или перелому имплантата.

В нашей клинике в основном мы применяем хирургическое лечение (остеосинтез) переломов у миниатюрных собак, заключающееся в совмещении отломков костей и их стабильной фиксации имплантатами так, чтобы собака с первых дней могла использовать оперированную конечность (стабильно-функциональный остеосинтез). Данная методика позволяет добиваться максимальных результатов в лечении переломов, т.к. в конечности сохраняется хороший кровоток и не возникает атрофии мягких тканей, что плодотворно влияет на процесс заживления перелома.

Безоперационное лечение, как правило, используется у щенков карликовых пород собак с переломами без смещения костных отломков (перелом по типу «зеленой ветки»).

Несмотря на современный подход в лечении переломов у карликовых пород собак и применение методов стабильно-функционального остеосинтеза в нашей практике имеют место единичные случаи таких переломов, когда нарушается кровообращение в костной ткани отломков и это может привести к рассасыванию костных краев отломков и несращению перелома. В данных случаях применяются оперативные приемы костной стимуляции с применением губчатой кости.

Создать карусель
Создать карусель

Литература

  1. Крючков Д.В., Абдуллаев Х.С. Наш опыт хирургического лечения мыщелковых переломов плеча у карликовых пород собак. Тезисы конференции “Хирургические патологии декоративных пород собак”, Москва, 2010г.
  2. Adamiak Z., Aleksiewicz R. Treatment of fractured antebrachial bones in both thoracic extremities in toy breed dogs by application of reconstruction plates. Pol J Vet Sci, 2006; 9(3):201–5.
  3. McCartney W, Kiss K and Robertson I. Treatment of distal radial/ulnar fractures in 17 toy breed dogs. Veterinary Record 166: 430–432 (2010).
  4. Muir P. Distal antebrachial fractures in toy-breed dogs. Comp.on cont. ed. For the pract. Vet. V.19(2), 1997.