Найти в Дзене
ГосземляРФ

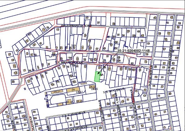
Название: Земельный участок с кадастровым номером 35:21:0204002:1148, площадью 1284 кв

Название: Земельный участок с кадастровым номером 35:21:0204002:1148, площадью 1284 кв. м, категория земель - земли населенных пунктов, разрешенное использование: для индивидуального жилищного строительства, местоположение: Российская Федерация, Вологодская область, городской округ город Череповец, город Череповец, ул. Ивачевская. Канал: Госземля Вологодская область Область: обл Вологодская Район: г.о. город Череповец Населенный пункт: г Череповец, ул Ивачевская Локация: Смотреть на карте ВРИ: Для индивидуального жилищного строительства Кадастровый номер: 35:21:0204002:1148 Кадастровая стоимость: - Вид сделки: Продажа Площадь: 1284 м² Начальная цена: 1098000.00 руб. Дата завершения: 17.03.2026 Подробнее: ГИС ТОРГИ #госземля #земляотгосударства #земля #земельныйучасток #земельныеторги #торги #аукцион #продажаземли #продажа #вологодскаяобласть

Название: Земельный участок с кадастровым номером 35:21:0204002:1148, площадью 1284 кв. м, категория земель - земли населенных пунктов, разрешенное использование: для индивидуального жилищного строительства, местоположение: Российская Федерация, Вологодская область, городской округ город Череповец, город Череповец, ул. Ивачевская.

Канал: Госземля Вологодская область

Область: обл Вологодская

Район: г.о. город Череповец

Населенный пункт: г Череповец, ул Ивачевская

Локация: Смотреть на карте

ВРИ: Для индивидуального жилищного строительства

Кадастровый номер: 35:21:0204002:1148

Кадастровая стоимость: -

Вид сделки: Продажа

Площадь: 1284 м²

Начальная цена: 1098000.00 руб.

Дата завершения: 17.03.2026

Подробнее: ГИС ТОРГИ

#госземля #земляотгосударства #земля #земельныйучасток #земельныеторги #торги #аукцион #продажаземли #продажа #вологодскаяобласть