Найти в Дзене
ГосземляРФ

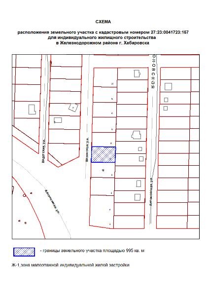
Название: Земельный участок с местоположением: Российская Федерация, Хабаровский край, городской округ «Город Хабаровск», город Хабаровск

, улица Кизинская, земельный участок 10. Вид разрешенного использования – для индивидуального жилищного строительства. Кадастровый номер - 27:23:0041723:157. Площадь - 995 кв. м.  Форма собственности – неразграниченная. Категория земель - земли населенных пунктов. Канал: Госземля Хабаровский край Область: - Район: - Населенный пункт: - Локация: Смотреть на карте ВРИ: Для индивидуального жилищного строительства Кадастровый номер: 27:23:0041723:157 Кадастровая стоимость: - Вид сделки: Аренда Площадь: 995 м² Начальная цена: 393965.00 руб. Дата завершения: 16.03.2026 Подробнее: ГИС ТОРГИ #госземля #земляотгосударства #земля #земельныйучасток #земельныеторги #торги #аукцион #арендаземли #аренда #хабаровскийкрай

Название: Земельный участок с местоположением: Российская Федерация, Хабаровский край, городской округ «Город Хабаровск», город Хабаровск, улица Кизинская, земельный участок 10. Вид разрешенного использования – для индивидуального жилищного строительства. Кадастровый номер - 27:23:0041723:157. Площадь - 995 кв. м.  Форма собственности – неразграниченная. Категория земель - земли населенных пунктов.

Канал: Госземля Хабаровский край

Область: -

Район: -

Населенный пункт: -

Локация: Смотреть на карте

ВРИ: Для индивидуального жилищного строительства

Кадастровый номер: 27:23:0041723:157

Кадастровая стоимость: -

Вид сделки: Аренда

Площадь: 995 м²

Начальная цена: 393965.00 руб.

Дата завершения: 16.03.2026

Подробнее: ГИС ТОРГИ

#госземля #земляотгосударства #земля #земельныйучасток #земельныеторги #торги #аукцион #арендаземли #аренда #хабаровскийкрай