Добавить в корзинуПозвонить
Найти в Дзене
ГосземляРФ

Название: для индивидуального жилищного строительства

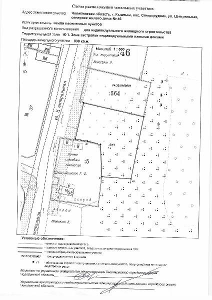
Канал: Госземля Челябинская область Область: обл Челябинская Район: г.о. Кыштымский Населенный пункт: г Кыштым пос. Слюдорудник, ул. Центральная, севернее жилого дома №46 Локация: Смотреть на карте ВРИ: Для индивидуального жилищного строительства Кадастровый номер: 74:32:0108001:566 Кадастровая стоимость: - Вид сделки: Продажа Площадь: 838 м² Начальная цена: 67844.00 руб. Дата завершения: 24.02.2026 Подробнее: ГИС ТОРГИ #госземля #земляотгосударства #земля #земельныйучасток #земельныеторги #торги #аукцион #продажаземли #продажа #челябинскаяобласть

Название: для индивидуального жилищного строительства

Канал: Госземля Челябинская область

Область: обл Челябинская

Район: г.о. Кыштымский

Населенный пункт: г Кыштым пос. Слюдорудник, ул. Центральная, севернее жилого дома №46

Локация: Смотреть на карте

ВРИ: Для индивидуального жилищного строительства

Кадастровый номер: 74:32:0108001:566

Кадастровая стоимость: -

Вид сделки: Продажа

Площадь: 838 м²

Начальная цена: 67844.00 руб.

Дата завершения: 24.02.2026

Подробнее: ГИС ТОРГИ

#госземля #земляотгосударства #земля #земельныйучасток #земельныеторги #торги #аукцион #продажаземли #продажа #челябинскаяобласть