Добавить в корзинуПозвонить
Найти в Дзене

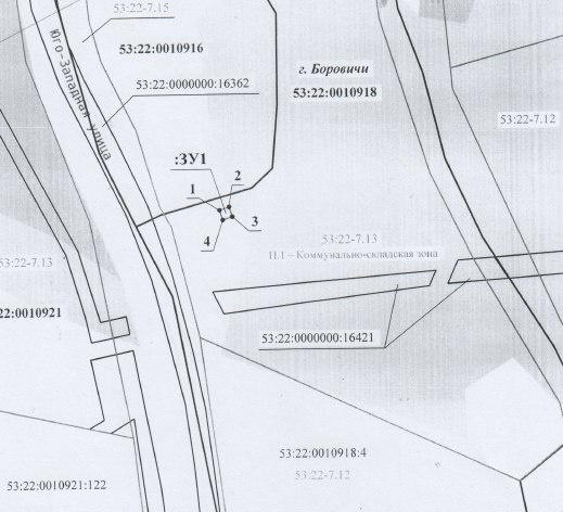
⚡ В адрес Администрации муниципального округа поступило заявление ООО «Пилар» об установлении публичного сервитута в целях размещения

антенно-мачтового сооружения связи, высотой 30 м, по адресу: Новгородская область, р-н Боровичский, городское поселение город Боровичи, г. Боровичи, ул. Юго-Западная, в границах кадастрового квартала 53:22:0010918, площадью 10 кв.метров. ❗ Предложения (возражения), особые мнения граждан принимаются Администрацией муниципального округа 📞 8 (81664) 91-273, 91-211 (kumizem@boradmin.ru).

⚡ В адрес Администрации муниципального округа поступило заявление ООО «Пилар» об установлении публичного сервитута в целях размещения антенно-мачтового сооружения связи, высотой 30 м, по адресу: Новгородская область, р-н Боровичский, городское поселение город Боровичи, г. Боровичи, ул. Юго-Западная, в границах кадастрового квартала 53:22:0010918, площадью 10 кв.метров.

❗ Предложения (возражения), особые мнения граждан принимаются Администрацией муниципального округа 📞 8 (81664) 91-273, 91-211 (kumizem@boradmin.ru).