Добавить в корзинуПозвонить
Найти в Дзене
Ткань Времени

Тот, кого впустили сами

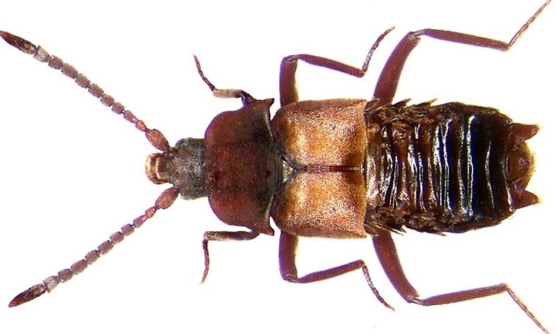
В мире насекомых существует один из самых коварных и совершенных паразитов — жук ломехуза (Lomechusoides strumosus). Этот крошечный гость, не способный жить вне муравейника, проникает в сердце высокоорганизованной колонии, подрывает её изнутри и в итоге приводит к полной гибели. Его стратегия — это смесь химической манипуляции, обмана и безжалостного хищничества. Проникновение: билет в рай для паразита Муравейник — это крепость, неприступная для большинства чужаков. Его охраняют солдаты, а каждый член общества выполняет свою роль. Однако для ломехузы длиной всего 5–6 миллиметров эти защиты ничего не значат. Жук, часто попадая в колонию через обменные дороги с соседними гнёздами или просто зайдя в муравейник, не встречая сопротивления. Его секретное оружие — жёлтые щетинки (трихомы) по бокам брюшка, выделяющие особый экссудат. Как только муравей пробует это вещество, он попадает под его влияние. Согласно классическим наблюдениям, это воздействие сравнивали с опьяняющим эффектом алкогол

В мире насекомых существует один из самых коварных и совершенных паразитов — жук ломехуза (Lomechusoides strumosus). Этот крошечный гость, не способный жить вне муравейника, проникает в сердце высокоорганизованной колонии, подрывает её изнутри и в итоге приводит к полной гибели. Его стратегия — это смесь химической манипуляции, обмана и безжалостного хищничества.

Проникновение: билет в рай для паразита

Муравейник — это крепость, неприступная для большинства чужаков. Его охраняют солдаты, а каждый член общества выполняет свою роль. Однако для ломехузы длиной всего 5–6 миллиметров эти защиты ничего не значат.

-2

Жук, часто попадая в колонию через обменные дороги с соседними гнёздами или просто зайдя в муравейник, не встречая сопротивления. Его секретное оружие — жёлтые щетинки (трихомы) по бокам брюшка, выделяющие особый экссудат. Как только муравей пробует это вещество, он попадает под его влияние. Согласно классическим наблюдениям, это воздействие сравнивали с опьяняющим эффектом алкоголя для человека. Современные исследования показывают, что жук использует сложную химическую мимикрию, производя соединения, которые, вероятно, имитируют феромоны муравьёв, успокаивая хозяев и стимулируя своё усыновление.

Войдя в состояние эйфории, муравьи не только пропускают захватчика, но и сразу начинают его кормить. Ломехуза мастерски копирует муравьиные жесты — постукивает усиками по голове сородича, что является сигналом к кормлению. Так начинается конец для муравейника.

-3

Жизнь за чужой счет: обман и хищничество

Оказавшись внутри, ломехуза переходит к следующему этапу. Самка откладывает 100–200 яиц прямо рядом с кладками муравьиной царицы. Яйца настолько похожи, что муравьи-няньки не видят разницы. Вылупившаяся личинка жука уже умеет просить пищу и, что важнее, также выделяет тот же привлекательный для муравьёв секрет.

На этой стадии муравьи уже могут распознать чужака, но их воля подавлена. Они ухаживают за личинками ломехузы как за собственным потомством, а иногда даже предпочитают их своим личинкам. И здесь открывается истинная сущность паразита: личинки ломехузы начинают высасывать муравьиные яйца, а подрастая — пожирать личинок своих хозяев. Взрослые жуки также питаются муравьиным расплодом. Поразительно, но муравьи спокойно наблюдают за этим «грабежом» и даже сами подкармливают хищников из своего рта.

-4

Распад колонии и рождение «муравьев-даунов»

По мере того как ломехузы размножаются, они оттягивают на себя всё больше ресурсов колонии. Рабочие муравьи, постоянно контактирующие с их выделениями, начинают меняться. Их активность падает, зона патрулирования сужается, фуражеры (особи, специализирующиеся на поиске и доставке добычи в муравейник) бросают работу и бесцельно слоняются.

Самое страшное последствие проявляется в следующем поколении. Из-за нехватки корма и воздействия веществ ломехузы из личинок, которые должны были стать полноценными самками или рабочими, выходят псевдоэргаты — недоразвитые особи. Внешне они представляют собой нечто среднее между рабочим и самкой.

Функционально они бесполезны: не могут добывать пищу, ухаживать за потомством или продолжать род.

Колония теряет будущее. Рабочая сила сокращается и деградирует, расплод уничтожается паразитами. Процветавший муравейник постепенно приходит в упадок и, как правило, не переживает зиму.

Надежда на спасение и научный взгляд

Единственный шанс спасти заражённый муравейник — жёсткая принудительная чистка. Это означает физическое удаление всех жуков, их личинок, куколок, а также безнадёжно поражённых псевдоэргатов. Опыт показывает, что оставшиеся здоровые муравьи способны восстановить колонию на новом месте и, что удивительно, приобретают своеобразный иммунитет против вещества ломехузы.

Современная наука, основанная на работах таких мирмекологов, как Эрих Васман и Берт Хёльдоблер, видит в ломехузе пример высокоразвитого социального паразитизма. Жук не просто производит «наркотик». Он использует комплексную стратегию: химические сигналы для внедрения, тактильную мимикрию для выпрашивания пищи и максимальную эксплуатацию социальной системы муравьёв, которая в норме является их силой, но здесь становится ахиллесовой пятой. Эта история — не просто курьёз из жизни насекомых. Это яркая иллюстрация того, как сложная и процветающая система может быть разрушена изнутри относительно простым, но предельно целесообразным механизмом обмана, который перехватывает управление на фундаментальном, химическом уровне.