Найти в Дзене
ГосземляРФ

Название: Земельный участок, государственная собственность на который не разграничена по адресу: Ярославская область, городской округ город

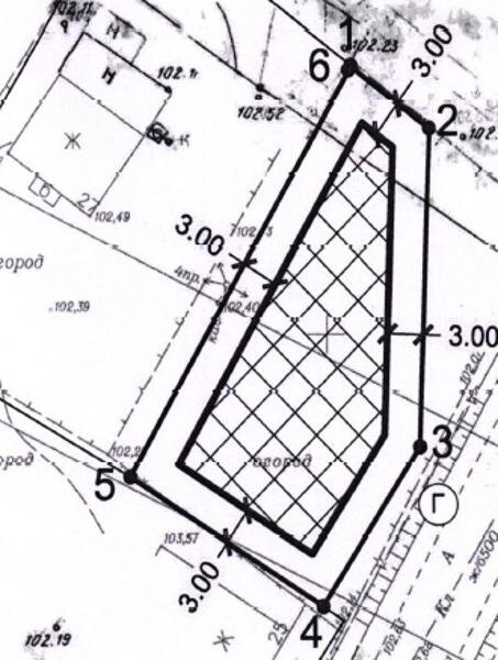
Название: Земельный участок, государственная собственность на который не разграничена по адресу: Ярославская область, городской округ город Рыбинск, город Рыбинск, улица Каляева, земельный участок 25. Площадь земельного участка – 598 ± 9 кв.м. Кадастровый номер – 76:20:040503:271. Разрешенное использование – для индивидуального жилищного строительства. Категория земель: земли населенных пунктов Канал: Госземля Ярославская область Область: - Район: - Населенный пункт: - Локация: Смотреть на карте ВРИ: Для индивидуального жилищного строительства Кадастровый номер: 76:20:040503:271 Кадастровая стоимость: - Вид сделки: Продажа Площадь: 598 м² Начальная цена: 300381.00 руб. Дата завершения: 27.02.2026 Подробнее: ГИС ТОРГИ #госземля #земляотгосударства #земля #земельныйучасток #земельныеторги #торги #аукцион #продажаземли #продажа #ярославскаяобласть

Название: Земельный участок, государственная собственность на который не разграничена по адресу: Ярославская область, городской округ город Рыбинск, город Рыбинск, улица Каляева, земельный участок 25. Площадь земельного участка – 598 ± 9 кв.м. Кадастровый номер – 76:20:040503:271. Разрешенное использование – для индивидуального жилищного строительства. Категория земель: земли населенных пунктов

Канал: Госземля Ярославская область

Область: -

Район: -

Населенный пункт: -

Локация: Смотреть на карте

ВРИ: Для индивидуального жилищного строительства

Кадастровый номер: 76:20:040503:271

Кадастровая стоимость: -

Вид сделки: Продажа

Площадь: 598 м²

Начальная цена: 300381.00 руб.

Дата завершения: 27.02.2026

Подробнее: ГИС ТОРГИ

#госземля #земляотгосударства #земля #земельныйучасток #земельныеторги #торги #аукцион #продажаземли #продажа #ярославскаяобласть