Добавить в корзинуПозвонить
Найти в Дзене
ГосземляРФ

Название: для индивидуального жилищного строительства

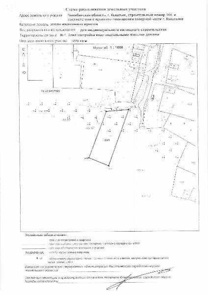
Канал: Госземля Челябинская область Область: обл Челябинская Район: г.о. Кыштымский Населенный пункт: г Кыштым строительный номер 106 в соответствии с проектом планировки северной части г. Кыштым Локация: Смотреть на карте ВРИ: Для индивидуального жилищного строительства Кадастровый номер: 74:32:0401101:378 Кадастровая стоимость: - Вид сделки: Аренда Площадь: 1224 м² Начальная цена: 24130.00 руб. Дата завершения: 17.02.2026 Подробнее: ГИС ТОРГИ #госземля #земляотгосударства #земля #земельныйучасток #земельныеторги #торги #аукцион #арендаземли #аренда #челябинскаяобласть

Название: для индивидуального жилищного строительства

Канал: Госземля Челябинская область

Область: обл Челябинская

Район: г.о. Кыштымский

Населенный пункт: г Кыштым строительный номер 106 в соответствии с проектом планировки северной части г. Кыштым

Локация: Смотреть на карте

ВРИ: Для индивидуального жилищного строительства

Кадастровый номер: 74:32:0401101:378

Кадастровая стоимость: -

Вид сделки: Аренда

Площадь: 1224 м²

Начальная цена: 24130.00 руб.

Дата завершения: 17.02.2026

Подробнее: ГИС ТОРГИ

#госземля #земляотгосударства #земля #земельныйучасток #земельныеторги #торги #аукцион #арендаземли #аренда #челябинскаяобласть