Добавить в корзинуПозвонить
Найти в Дзене
Новый компаньон

У Егошихи в Перми ограничат движение транспорта для строительства моста

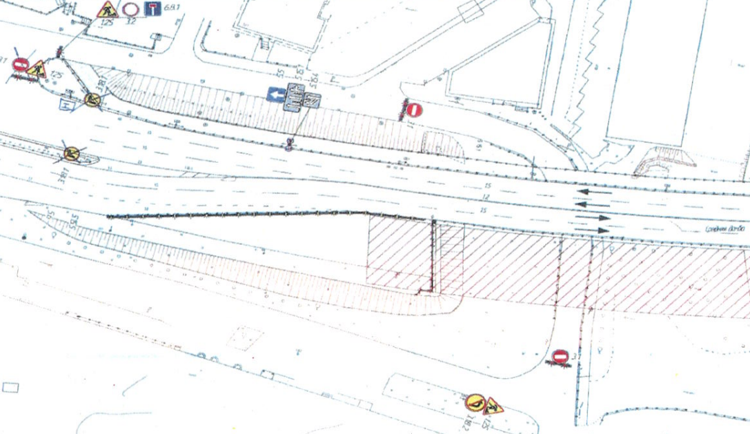
Для выполнения работ в рамках строительства второй очереди моста через Егошиху в Перми введут временные ограничения движения транспорта. Ограничения коснутся автодороги местного значения — Средней дамбы. По информации краевого минтранса, движение будет временно прекращено на участке от дома № 2 до дома № 3г на ул. Революции с 00:00 21 февраля. Ограничения будут действовать в течение недели, до 00:00 28 февраля. Напомним, к реконструкции ул. Революции в Перми, в рамках которой будет построена вторая очередь моста через Егошиху приступили в 2025 году. Подряд выиграл «Уралмостострой» за 1,7 млрд руб. Длина модернизируемого отрезка дороги составит 257 м. Завершение работ намечено на 2027 год. В декабре «Новый компаньон» писал, что власти Перми планируют передать в краевую собственность на безвозмездной основе несколько участков и объектов для реализации проекта. В собственность Пермского края будет передана участок дороги по ул. Революции от ул. Островского до б. Гагарина протяжённостью по

Ограничения вводятся на неделю

   © Константин Долгановский
© Константин Долгановский

Для выполнения работ в рамках строительства второй очереди моста через Егошиху в Перми введут временные ограничения движения транспорта. Ограничения коснутся автодороги местного значения — Средней дамбы.

   © Министерство транспорта Пермского края
© Министерство транспорта Пермского края

По информации краевого минтранса, движение будет временно прекращено на участке от дома № 2 до дома № 3г на ул. Революции с 00:00 21 февраля. Ограничения будут действовать в течение недели, до 00:00 28 февраля.

Напомним, к реконструкции ул. Революции в Перми, в рамках которой будет построена вторая очередь моста через Егошиху приступили в 2025 году. Подряд выиграл «Уралмостострой» за 1,7 млрд руб. Длина модернизируемого отрезка дороги составит 257 м. Завершение работ намечено на 2027 год.

В декабре «Новый компаньон» писал, что власти Перми планируют передать в краевую собственность на безвозмездной основе несколько участков и объектов для реализации проекта. В собственность Пермского края будет передана участок дороги по ул. Революции от ул. Островского до б. Гагарина протяжённостью почти 1,9 тыс. м, а также пять земельных участков общей площадью 8,5 га по ул. Революции и ул. Макаренко, предназначенные под территории общего пользования.