Добавить в корзинуПозвонить
Найти в Дзене
ГосземляРФ

Название: Лот № 1

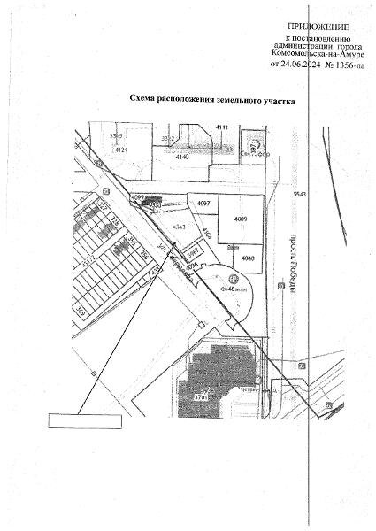
Земельный участок с кадастровым номером 27:22:0040606:4343, площадью 2245 кв.м., имеющий местоположение: Хабаровский край, г. Комсомольск-на-Амуре, в районе пересечения ул. Сверлова и пр. Московского, вид разрешенного использования: указан в Извещении, прикрепленном во вкладке "Документы" Канал: Госземля Хабаровский край Область: край Хабаровский Район: г.о. город Комсомольск-на-Амуре Хабаровский край Населенный пункт: г. Комсомольск-на-Амуре, в районе пересечения ул. Сверлова и пр. Московского Локация: Смотреть на карте ВРИ: Коммунальное обслуживание Кадастровый номер: 27:22:0040606:4343 Кадастровая стоимость: - Вид сделки: Аренда Площадь: 2245 м² Начальная цена: 735824.00 руб. Дата завершения: 16.03.2026 Подробнее: ГИС ТОРГИ #госземля #земляотгосударства #земля #земельныйучасток #земельныеторги #торги #аукцион #арендаземли #аренда #хабаровскийкрай

Название: Лот № 1. Земельный участок с кадастровым номером 27:22:0040606:4343, площадью 2245 кв.м., имеющий местоположение: Хабаровский край, г. Комсомольск-на-Амуре, в районе пересечения ул. Сверлова и пр. Московского, вид разрешенного использования: указан в Извещении, прикрепленном во вкладке "Документы"

Канал: Госземля Хабаровский край

Область: край Хабаровский

Район: г.о. город Комсомольск-на-Амуре Хабаровский край

Населенный пункт: г. Комсомольск-на-Амуре, в районе пересечения ул. Сверлова и пр. Московского

Локация: Смотреть на карте

ВРИ: Коммунальное обслуживание

Кадастровый номер: 27:22:0040606:4343

Кадастровая стоимость: -

Вид сделки: Аренда

Площадь: 2245 м²

Начальная цена: 735824.00 руб.

Дата завершения: 16.03.2026

Подробнее: ГИС ТОРГИ

#госземля #земляотгосударства #земля #земельныйучасток #земельныеторги #торги #аукцион #арендаземли #аренда #хабаровскийкрай