Добавить в корзинуПозвонить
Найти в Дзене
ГосземляРФ

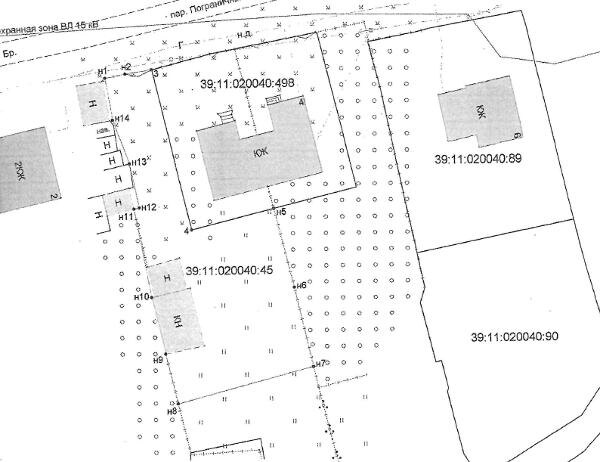
Название: Земельный участок из земель населенных пунктов с кадастровым номером 39:11:020040:45 уточненной площадью 727,0 кв

м, с разрешенным использованием «для ведения личного подсобного хозяйства», местоположение: Калининградская область, Правдинский район, п. Железнодорожный, пер. Пограничный, вблизи д. 4; Канал: Госземля Калининградская область Область: обл Калининградская Район: м.о. Правдинский Населенный пункт: п Железнодорожный, пер Пограничный вблизи д. 4; Локация: Смотреть на карте ВРИ: Для ведения личного подсобного хозяйства (приусадебный земельный участок) Кадастровый номер: 39:11:020040:45 Кадастровая стоимость: - Вид сделки: Аренда Площадь: 727 м² Начальная цена: - руб. Дата завершения: 25.02.2026 Подробнее: ГИС ТОРГИ #госземля #земляотгосударства #земля #земельныйучасток #земельныеторги #торги #аукцион #арендаземли #аренда #калининградскаяобласть

Название: Земельный участок из земель населенных пунктов с кадастровым номером 39:11:020040:45 уточненной площадью 727,0 кв. м, с разрешенным использованием «для ведения личного подсобного хозяйства», местоположение: Калининградская область, Правдинский район, п. Железнодорожный, пер. Пограничный, вблизи д. 4;

Канал: Госземля Калининградская область

Область: обл Калининградская

Район: м.о. Правдинский

Населенный пункт: п Железнодорожный, пер Пограничный вблизи д. 4;

Локация: Смотреть на карте

ВРИ: Для ведения личного подсобного хозяйства (приусадебный земельный участок)

Кадастровый номер: 39:11:020040:45

Кадастровая стоимость: -

Вид сделки: Аренда

Площадь: 727 м²

Начальная цена: - руб.

Дата завершения: 25.02.2026

Подробнее: ГИС ТОРГИ

#госземля #земляотгосударства #земля #земельныйучасток #земельныеторги #торги #аукцион #арендаземли #аренда #калининградскаяобласть