Найти в Дзене
ГосземляРФ

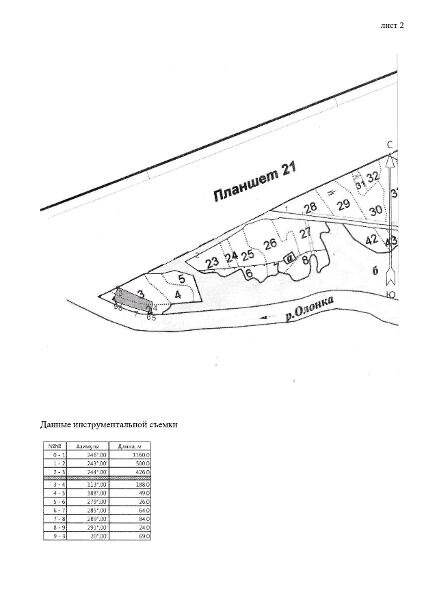
Название: лесной участок площадью 1,2 га, расположенного в границах лесотаксационных выделов 1,2,3 лесного квартала 172 Тулокского

участкового лесничества (Тулокского лесничества по лесоустройству) Олонецкого лесничества Олонецкого национального муниципального округа Республики Карелия, в целях использования лесов для осуществления рекреационной деятельности. Канал: Госземля Республика Карелия Область: - Район: - Населенный пункт: - Локация: Смотреть на карте ВРИ: Отдых (рекреация) Кадастровый номер: 10:14:0051802:208 Кадастровая стоимость: - Вид сделки: Аренда Площадь: 12000 м² Начальная цена: 229876.00 руб. Дата завершения: 25.02.2026 Подробнее: ГИС ТОРГИ #госземля #земляотгосударства #земля #земельныйучасток #земельныеторги #торги #аукцион #арендаземли #аренда #республикакарелия

Название: лесной участок площадью 1,2 га, расположенного в границах лесотаксационных выделов 1,2,3 лесного квартала 172 Тулокского участкового лесничества (Тулокского лесничества по лесоустройству) Олонецкого лесничества Олонецкого национального муниципального округа Республики Карелия, в целях использования лесов для осуществления рекреационной деятельности.

Канал: Госземля Республика Карелия

Область: -

Район: -

Населенный пункт: -

Локация: Смотреть на карте

ВРИ: Отдых (рекреация)

Кадастровый номер: 10:14:0051802:208

Кадастровая стоимость: -

Вид сделки: Аренда

Площадь: 12000 м²

Начальная цена: 229876.00 руб.

Дата завершения: 25.02.2026

Подробнее: ГИС ТОРГИ

#госземля #земляотгосударства #земля #земельныйучасток #земельныеторги #торги #аукцион #арендаземли #аренда #республикакарелия

-2