Добавить в корзинуПозвонить
Найти в Дзене
ГосземляРФ

Название: указан в разделе документы

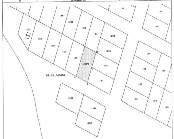
Канал: Госземля Республика Башкортостан Область: Респ Башкортостан с. Сихонкино Район: ул. Луговая Населенный пункт: з/у 11 Локация: Смотреть на карте ВРИ: Для индивидуального жилищного строительства Кадастровый номер: 02:31:040801:56 Кадастровая стоимость: - Вид сделки: Не определён Площадь: 1455 м² Начальная цена: - руб. Дата завершения: 28.02.2026 Подробнее: ГИС ТОРГИ #госземля #земляотгосударства #земля #земельныйучасток #земельныеторги #торги #аукцион #не определёнземли #не определён #республикабашкортостан

Название: указан в разделе документы

Канал: Госземля Республика Башкортостан

Область: Респ Башкортостан с. Сихонкино

Район: ул. Луговая

Населенный пункт: з/у 11

Локация: Смотреть на карте

ВРИ: Для индивидуального жилищного строительства

Кадастровый номер: 02:31:040801:56

Кадастровая стоимость: -

Вид сделки: Не определён

Площадь: 1455 м²

Начальная цена: - руб.

Дата завершения: 28.02.2026

Подробнее: ГИС ТОРГИ

#госземля #земляотгосударства #земля #земельныйучасток #земельныеторги #торги #аукцион #не определёнземли #не определён #республикабашкортостан