Найти в Дзене
ГосземляРФ

Название: указан в разделе документы

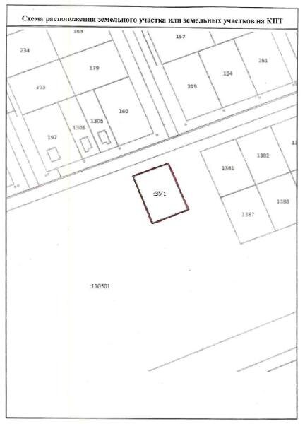
Канал: Госземля Республика Башкортостан Область: Респ Башкортостан с. Кармаскалы Район: ул. Васильева Населенный пункт: д. 51 Локация: Смотреть на карте ВРИ: Для ведения личного подсобного хозяйства (приусадебный земельный участок) Кадастровый номер: 02:31:110501:1 Кадастровая стоимость: - Вид сделки: Не определён Площадь: 1000 м² Начальная цена: - руб. Дата завершения: 28.02.2026 Подробнее: ГИС ТОРГИ #госземля #земляотгосударства #земля #земельныйучасток #земельныеторги #торги #аукцион #не определёнземли #не определён #республикабашкортостан

Название: указан в разделе документы

Канал: Госземля Республика Башкортостан

Область: Респ Башкортостан с. Кармаскалы

Район: ул. Васильева

Населенный пункт: д. 51

Локация: Смотреть на карте

ВРИ: Для ведения личного подсобного хозяйства (приусадебный земельный участок)

Кадастровый номер: 02:31:110501:1

Кадастровая стоимость: -

Вид сделки: Не определён

Площадь: 1000 м²

Начальная цена: - руб.

Дата завершения: 28.02.2026

Подробнее: ГИС ТОРГИ

#госземля #земляотгосударства #земля #земельныйучасток #земельныеторги #торги #аукцион #не определёнземли #не определён #республикабашкортостан