Найти в Дзене
ГосземляРФ

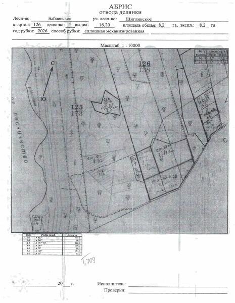
Название: Лесные насаждения, расположенные в Вологодской обл., Бабаевском муниципальном округе, Бабаевском лесничестве, Шиглинском

участковом лесничестве, квартале № 126, выделах №№ 16,20 лесосека №1 Канал: Госземля Вологодская область Область: - Район: - Населенный пункт: - Локация: Смотреть на карте ВРИ: Заготовка древесины Кадастровый номер: 35:02:0000000:224 Кадастровая стоимость: - Вид сделки: Продажа Площадь: 82000 м² Начальная цена: 1233177.00 руб. Дата завершения: 05.02.2026 Подробнее: ГИС ТОРГИ #госземля #земляотгосударства #земля #земельныйучасток #земельныеторги #торги #аукцион #продажаземли #продажа #вологодскаяобласть

Название: Лесные насаждения, расположенные в Вологодской обл., Бабаевском муниципальном округе, Бабаевском лесничестве, Шиглинском участковом лесничестве, квартале № 126, выделах №№ 16,20 лесосека №1

Канал: Госземля Вологодская область

Область: -

Район: -

Населенный пункт: -

Локация: Смотреть на карте

ВРИ: Заготовка древесины

Кадастровый номер: 35:02:0000000:224

Кадастровая стоимость: -

Вид сделки: Продажа

Площадь: 82000 м²

Начальная цена: 1233177.00 руб.

Дата завершения: 05.02.2026

Подробнее: ГИС ТОРГИ

#госземля #земляотгосударства #земля #земельныйучасток #земельныеторги #торги #аукцион #продажаземли #продажа #вологодскаяобласть