Найти в Дзене
ГосземляРФ

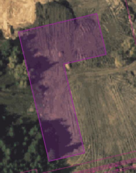
Название: Земельный участок из земель населенных пунктов, разрешенное использование: среднеэтажная жилая застройка, с кадастровым номером

36:02:5502002:353, площадью 4910 кв. м., расположенный по адресу: Воронежская область, Бобровский муниципальный район, городское поселение город Бобров, п. Лушниковка, 1/6 Канал: Госземля Воронежская область Область: обл Воронежская Район: м.р-н Бобровский Населенный пункт: г.п. город Бобров, п Лушниковка Локация: Смотреть на карте ВРИ: Среднеэтажная жилая застройка Кадастровый номер: 36:02:5502002:353 Кадастровая стоимость: - Вид сделки: Аренда Площадь: 4910 м² Начальная цена: 61000.00 руб. Дата завершения: 26.01.2026 Подробнее: ГИС ТОРГИ #госземля #земляотгосударства #земля #земельныйучасток #земельныеторги #торги #аукцион #арендаземли #аренда #воронежскаяобласть

Название: Земельный участок из земель населенных пунктов, разрешенное использование: среднеэтажная жилая застройка, с кадастровым номером 36:02:5502002:353, площадью 4910 кв. м., расположенный по адресу: Воронежская область, Бобровский муниципальный район, городское поселение город Бобров, п. Лушниковка, 1/6

Канал: Госземля Воронежская область

Область: обл Воронежская

Район: м.р-н Бобровский

Населенный пункт: г.п. город Бобров, п Лушниковка

Локация: Смотреть на карте

ВРИ: Среднеэтажная жилая застройка

Кадастровый номер: 36:02:5502002:353

Кадастровая стоимость: -

Вид сделки: Аренда

Площадь: 4910 м²

Начальная цена: 61000.00 руб.

Дата завершения: 26.01.2026

Подробнее: ГИС ТОРГИ

#госземля #земляотгосударства #земля #земельныйучасток #земельныеторги #торги #аукцион #арендаземли #аренда #воронежскаяобласть