Найти в Дзене

Зимний уход за кротоном (Кодиеум): как избежать ошибок и сохранить красоту

Здравствуйте, дорогие любители домашних растений! Сегодня хочу поговорить с вами о настоящем ярком авантюристе в мире комнатной зелени – о кротоне, или кодиеуме. Летом он часто радует нас буйством красок и упругими листьями, но с приходом зимы этот пёстрый красавец нередко начинает хандрить. Листья могут опускаться, терять цвет, а то и вовсе осыпаться. Давайте разберёмся, как помочь растению пережить непростой сезон, и на что обратить особое внимание. Зимой самая большая проблема – это катастрофическая нехватка солнечного света. Кротон – дитя тропиков, он обожает яркое, но рассеянное освещение. А за окном у нас пасмурно, серо и темнеет рано. Растение сразу реагирует: новые листья растут тусклыми и зеленоватыми, а старые могут начать массово опадать. Что делать? Найдите для вашего питомца самое светлое место в доме. Южное, восточное или западное окно идеально подойдут. Не бойтесь ставить его близко к стеклу, просто следите, чтобы листья его не касались холодной поверхности. Если света с
Оглавление
Муся прибежала посмотреть на пёстрый Кодиеум
Муся прибежала посмотреть на пёстрый Кодиеум

Здравствуйте, дорогие любители домашних растений! Сегодня хочу поговорить с вами о настоящем ярком авантюристе в мире комнатной зелени – о кротоне, или кодиеуме. Летом он часто радует нас буйством красок и упругими листьями, но с приходом зимы этот пёстрый красавец нередко начинает хандрить. Листья могут опускаться, терять цвет, а то и вовсе осыпаться. Давайте разберёмся, как помочь растению пережить непростой сезон, и на что обратить особое внимание.

1. Свет – ваш главный союзник

Зимой самая большая проблема – это катастрофическая нехватка солнечного света. Кротон – дитя тропиков, он обожает яркое, но рассеянное освещение. А за окном у нас пасмурно, серо и темнеет рано. Растение сразу реагирует: новые листья растут тусклыми и зеленоватыми, а старые могут начать массово опадать.

Что делать? Найдите для вашего питомца самое светлое место в доме. Южное, восточное или западное окно идеально подойдут. Не бойтесь ставить его близко к стеклу, просто следите, чтобы листья его не касались холодной поверхности. Если света совсем мало (например, окна выходят на север), очень рекомендую обзавестись фитолампой. Даже обычная светодиодная лампа с холодным белым светом, включённая на 6-8 часов в день, станет для него спасением.

Из практики: У меня в Подмосковье окна выходят на восток, и света зимой всё равно не хватало. После того как я установил простую светодиодную панель над кротоном, он не только перестал сбрасывать листья, но и выдал пару новых, удивительно пёстрых.

2. Тепло и никаких сквозняков

Второй по важности фактор – температура. Здесь нас подстерегает главная ловушка. Мы стараемся держать растение в тепле, но часто забываем, что холод кротону может прийти снизу – от подоконника или из щелей в раме. Идеальный для него диапазон зимой – это +18–22 °C. Если температура опускается ниже +16, корни начинают «мёрзнуть» и плохо усваивают влагу, что ведёт к другим проблемам.

Самое страшное для кротона – резкий перепад температуры и сквозняк. Проветривая комнату, обязательно убирайте растение с пути потока холодного воздуха. Даже двух минут может хватить, чтобы он среагировал сбросом листвы. Не ставьте его и близко к горячей батарее – там воздух слишком сухой.

Кротон, стоявщий на сквозняке
Кротон, стоявщий на сквозняке

3. Полив – искусство баланса

Пожалуй, именно в поливе совершается больше всего ошибок. Зимой обмен веществ у растения замедляется, оно пьёт гораздо меньше, чем летом. Но наш стереотип «в тёплой квартире нужно поливать часто» играет злую шутку.

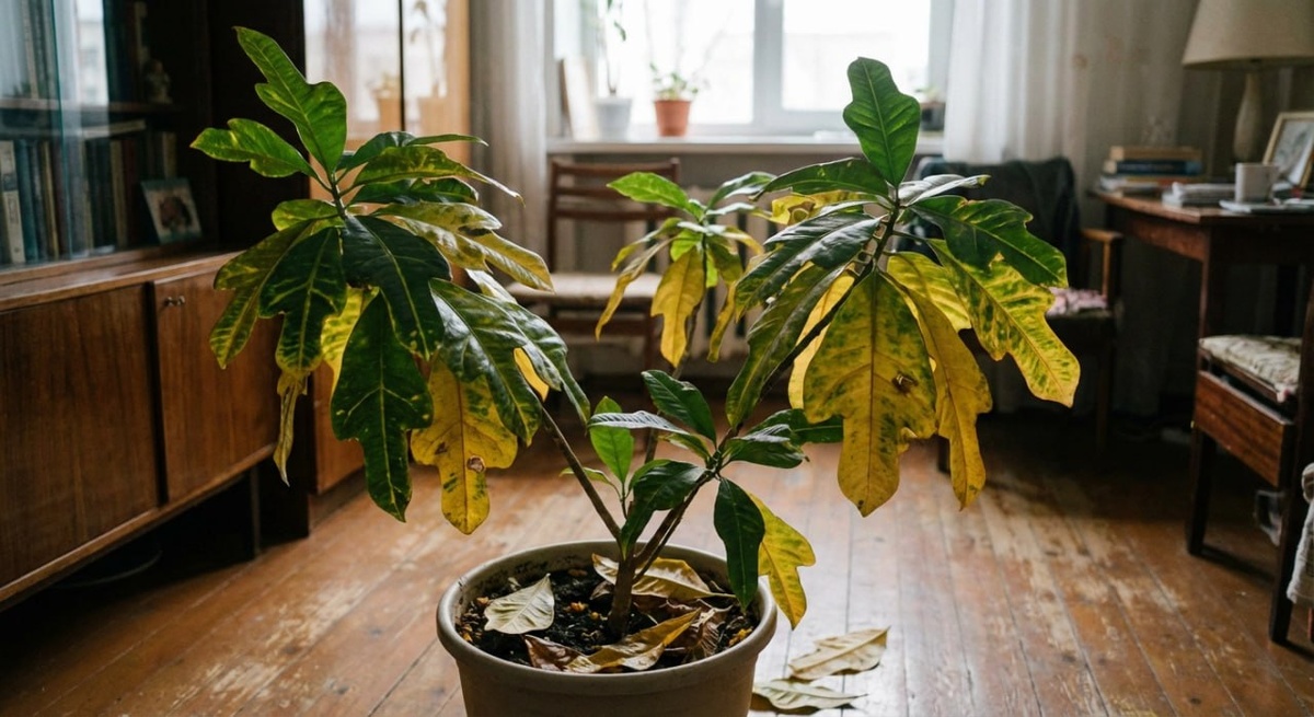
Залив – главная причина гибели кротонов зимой. Постоянно мокрая, холодная земля приводит к загниванию корней. Поливать нужно только тогда, когда верхний слой грунта просохнет на глубину 2-3 сантиметров. Проверяйте это пальцем. Воду используйте обязательно тёплую, отстоявшуюся. И помните золотое правило: лучше недолить, чем перелить. Если листья немного поникли от сухости, вы их спасёте поливом. Если они начали чернеть и опадать от гнили – помочь уже почти невозможно.

Из практики: Однажды я чуть не потерял крупный экземпляр, продолжая поливать его «по летнему графику» – раз в неделю. Земля не успевала просыхать. Кротон начал стремительно терять листья. Спасла только экстренная пересадка с удалением гнилых корней и полная просушка земляного кома.

4. Влажность воздуха – создаём тропики

Зимой в наших квартирах воздух сухой, как в пустыне, из-за отопления. А кротон любит высокую влажность. Сухой воздух приводит к тому, что кончики листьев сохнут, становятся коричневыми, растение может атаковать паутинный клещ – главный враг в этот сезон.

Опрыскивайте листья тёплой водой хотя бы через день. Поставьте горшок на поддон с влажным керамзитом или галькой (дно горшка не должно касаться воды!). Отлично работает бытовой увлажнитель воздуха, поставленный рядом. Раз в месяц можно устраивать растению тёплый душ, предварительно закрыв землю плёнкой. Это и пыль смоет, и вредителей отпугнёт.

5. Подкормки – ставим на паузу

Зимой, в период вынужденного покоя, кротон практически не растёт. Корневая система отдыхает. Удобрять его в это время – всё равно что кормить спящего человека. Лишние соли в почве, которые растение не усваивает, только засолят грунт и навредят корням. Полностью откажитесь от подкормок с октября по февраль. Возобновлять их нужно будет только с началом весны, когда увеличится световой день и вы заметите признаки нового роста.

Практический вывод

Итак, чтобы ваш пёстрый друг благополучно пережил зиму, запомните простой алгоритм: максимум света (вплоть до досвечивания), стабильное тепло без сквозняков, очень осторожный полив по мере просыхания грунта, повышенная влажность воздуха вокруг листьев и полный отказ от удобрений.

Муся желает вашему кротону не скидывать листву в холодные зимы
Муся желает вашему кротону не скидывать листву в холодные зимы

Не пугайтесь, если растение сбросит один-два нижних листа – это нормальная реакция на смену сезона. Но если листопад массовый, ищите причину в перечисленных выше пунктах. Кротон – растение с характером, он сразу показывает, что ему некомфортно. Наша задача – вовремя это заметить и помочь.

Желаю вам и вашим зелёным питомцам пережить эту зиму без потерь, а с приходом весны вновь порадоваться сочной и яркой листве. Удачи!