Добавить в корзинуПозвонить
Найти в Дзене
ГосземляРФ

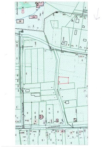
Название: земельный участок расположен: Тюменская область, Ишимский муниципальный округ, д.Симонова, пр-д Солнечный, з/у 8

Канал: Госземля Тюменская область Область: обл Тюменская Район: м.р-н Ишимский Населенный пункт: с.п. Клепиковское, д Симонова, проезд Солнечный з/у 8 Локация: Смотреть на карте ВРИ: Для ведения личного подсобного хозяйства (приусадебный земельный участок) Кадастровый номер: 72:10:2108001:0001 Кадастровая стоимость: - Вид сделки: Аренда Площадь: 567 м² Начальная цена: - руб. Дата завершения: 20.02.2026 Подробнее: ГИС ТОРГИ #госземля #земляотгосударства #земля #земельныйучасток #земельныеторги #торги #аукцион #арендаземли #аренда #тюменскаяобласть

Название: земельный участок расположен: Тюменская область, Ишимский муниципальный округ, д.Симонова, пр-д Солнечный, з/у 8

Канал: Госземля Тюменская область

Область: обл Тюменская

Район: м.р-н Ишимский

Населенный пункт: с.п. Клепиковское, д Симонова, проезд Солнечный з/у 8

Локация: Смотреть на карте

ВРИ: Для ведения личного подсобного хозяйства (приусадебный земельный участок)

Кадастровый номер: 72:10:2108001:0001

Кадастровая стоимость: -

Вид сделки: Аренда

Площадь: 567 м²

Начальная цена: - руб.

Дата завершения: 20.02.2026

Подробнее: ГИС ТОРГИ

#госземля #земляотгосударства #земля #земельныйучасток #земельныеторги #торги #аукцион #арендаземли #аренда #тюменскаяобласть