Добавить в корзинуПозвонить
Найти в Дзене
ГосземляРФ

Название: Право заключения договора купли-продажи земельного участка для ИЖС по адресу Свердловская область, Нижнесергинский район,с

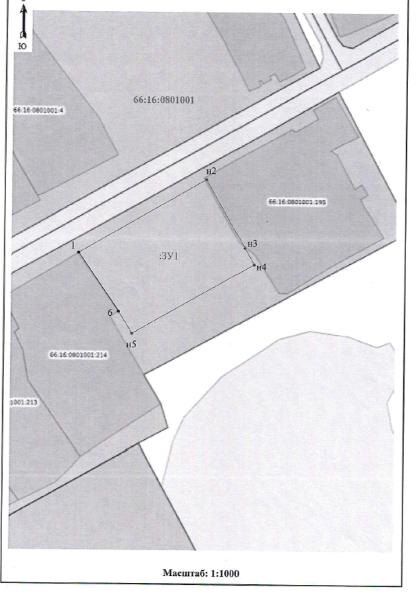
Кленовское, ул. Ладыгина, д. 3. Канал: Госземля Свердловская область Область: обл Свердловская Район: м.р-н Нижнесергинский Населенный пункт: с.п. Кленовское, с Кленовское, ул Ладыгина дом 3 Локация: Смотреть на карте ВРИ: Для индивидуального жилищного строительства Кадастровый номер: 66:16:0801001:2500 Кадастровая стоимость: - Вид сделки: Продажа Площадь: 2500 м² Начальная цена: - руб. Дата завершения: 26.01.2026 Подробнее: ГИС ТОРГИ #госземля #земляотгосударства #земля #земельныйучасток #земельныеторги #торги #аукцион #продажаземли #продажа #свердловскаяобласть

Название: Право заключения договора купли-продажи земельного участка для ИЖС по адресу Свердловская область, Нижнесергинский район,с. Кленовское, ул. Ладыгина, д. 3.

Канал: Госземля Свердловская область

Область: обл Свердловская

Район: м.р-н Нижнесергинский

Населенный пункт: с.п. Кленовское, с Кленовское, ул Ладыгина дом 3

Локация: Смотреть на карте

ВРИ: Для индивидуального жилищного строительства

Кадастровый номер: 66:16:0801001:2500

Кадастровая стоимость: -

Вид сделки: Продажа

Площадь: 2500 м²

Начальная цена: - руб.

Дата завершения: 26.01.2026

Подробнее: ГИС ТОРГИ

#госземля #земляотгосударства #земля #земельныйучасток #земельныеторги #торги #аукцион #продажаземли #продажа #свердловскаяобласть