Найти в Дзене
ГосземляРФ

Название: Земельный участок из земель населенных пунктов, расположен в по адресу: Российская Федерация, Ростовская область, городской округ

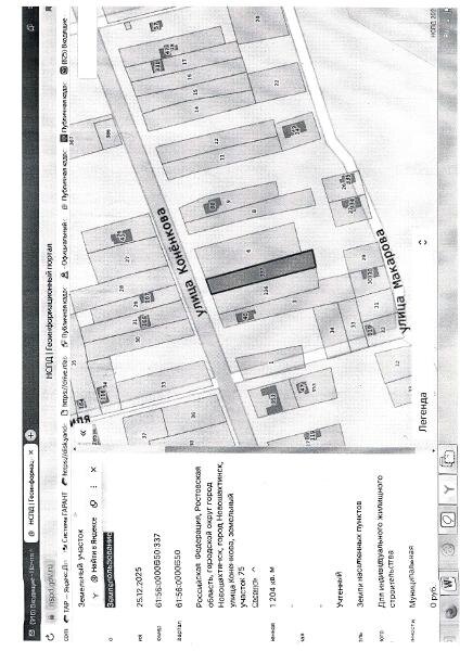
Название: Земельный участок из земель населенных пунктов, расположен в по адресу: Российская Федерация, Ростовская область, городской округ город Новошахтинск, город Новошахтинск, улица Коненкова, земельный участок 75, площадью 1204 кв.м, кадастровый номер участка 61:56:0000650:337, границы земельного участка уточнены, разрешенное использование земельного участка: «Для индивидуального жилищного строительства». Канал: Госземля Ростовская область Область: обл Ростовская Район: г.о. город Новошахтинск Населенный пункт: г Новошахтинск, ул Коненкова, з/у 75 Локация: Смотреть на карте ВРИ: Для индивидуального жилищного строительства Кадастровый номер: 61:56:0000650:337 Кадастровая стоимость: - Вид сделки: Не определён Площадь: 1204 м² Начальная цена: - руб. Дата завершения: 25.01.2026 Подробнее: ГИС ТОРГИ #госземля #земляотгосударства #земля #земельныйучасток #земельныеторги #торги #аукцион #не определёнземли #не определён #ростовскаяобласть

Название: Земельный участок из земель населенных пунктов, расположен в по адресу: Российская Федерация, Ростовская область, городской округ город Новошахтинск, город Новошахтинск, улица Коненкова, земельный участок 75, площадью 1204 кв.м, кадастровый номер участка 61:56:0000650:337, границы земельного участка уточнены, разрешенное использование земельного участка: «Для индивидуального жилищного строительства».

Канал: Госземля Ростовская область

Область: обл Ростовская

Район: г.о. город Новошахтинск

Населенный пункт: г Новошахтинск, ул Коненкова, з/у 75

Локация: Смотреть на карте

ВРИ: Для индивидуального жилищного строительства

Кадастровый номер: 61:56:0000650:337

Кадастровая стоимость: -

Вид сделки: Не определён

Площадь: 1204 м²

Начальная цена: - руб.

Дата завершения: 25.01.2026

Подробнее: ГИС ТОРГИ

#госземля #земляотгосударства #земля #земельныйучасток #земельныеторги #торги #аукцион #не определёнземли #не определён #ростовскаяобласть