Найти в Дзене
ГосземляРФ

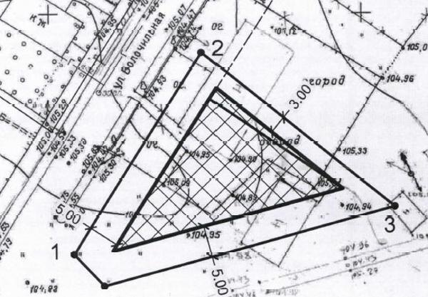
Название: Земельный участок, государственная собственность на который не разграничена по адресу: Российская Федерация, Ярославская область

, городской округ город Рыбинск, город Рыбинск, Волочильная улица, земельный участок 7. Площадь земельного участка – 902±11 кв.м. Кадастровый номер – 76:20:050435:229. Разрешенное использование – для индивидуального жилищного строительства. Категория земель: земли населенных пунктов Канал: Госземля Ярославская область Область: - Район: - Населенный пункт: - Локация: Смотреть на карте ВРИ: Для индивидуального жилищного строительства Кадастровый номер: 76:20:050435:229 Кадастровая стоимость: - Вид сделки: Аренда Площадь: 902 м² Начальная цена: 193200.00 руб. Дата завершения: 23.01.2026 Подробнее: ГИС ТОРГИ #госземля #земляотгосударства #земля #земельныйучасток #земельныеторги #торги #аукцион #арендаземли #аренда #ярославскаяобласть

Название: Земельный участок, государственная собственность на который не разграничена по адресу: Российская Федерация, Ярославская область, городской округ город Рыбинск, город Рыбинск, Волочильная улица, земельный участок 7. Площадь земельного участка – 902±11 кв.м. Кадастровый номер – 76:20:050435:229. Разрешенное использование – для индивидуального жилищного строительства. Категория земель: земли населенных пунктов

Канал: Госземля Ярославская область

Область: -

Район: -

Населенный пункт: -

Локация: Смотреть на карте

ВРИ: Для индивидуального жилищного строительства

Кадастровый номер: 76:20:050435:229

Кадастровая стоимость: -

Вид сделки: Аренда

Площадь: 902 м²

Начальная цена: 193200.00 руб.

Дата завершения: 23.01.2026

Подробнее: ГИС ТОРГИ

#госземля #земляотгосударства #земля #земельныйучасток #земельныеторги #торги #аукцион #арендаземли #аренда #ярославскаяобласть