Добавить в корзинуПозвонить
Найти в Дзене
ГосземляРФ

Название: Земельный участок, государственная собственность на который не разграничена по адресу: Российская Федерация, Ярославская область

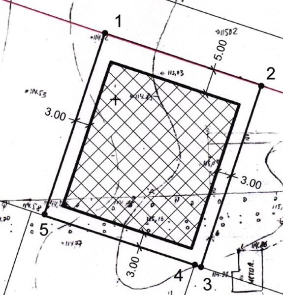
Название: Земельный участок, государственная собственность на который не разграничена по адресу: Российская Федерация, Ярославская область, г. о. город Рыбинск, г. Рыбинск, р-н Заволжье-2, улица Фёдорова, з/у 62. Площадь земельного участка –1306±1 кв.м. Кадастровый номер – 76:20:040601:280. Разрешенное использование – для индивидуального жилищного строительства. Категория земель: земли населенных пунктов Канал: Госземля Ярославская область Область: - Район: - Населенный пункт: - Локация: Смотреть на карте ВРИ: Для индивидуального жилищного строительства Кадастровый номер: 76:20:040601:280 Кадастровая стоимость: - Вид сделки: Аренда Площадь: 1306 м² Начальная цена: 207800.00 руб. Дата завершения: 16.01.2026 Подробнее: ГИС ТОРГИ #госземля #земляотгосударства #земля #земельныйучасток #земельныеторги #торги #аукцион #арендаземли #аренда #ярославскаяобласть

Название: Земельный участок, государственная собственность на который не разграничена по адресу: Российская Федерация, Ярославская область, г. о. город Рыбинск, г. Рыбинск, р-н Заволжье-2, улица Фёдорова, з/у 62. Площадь земельного участка –1306±1 кв.м. Кадастровый номер – 76:20:040601:280. Разрешенное использование – для индивидуального жилищного строительства. Категория земель: земли населенных пунктов

Канал: Госземля Ярославская область

Область: -

Район: -

Населенный пункт: -

Локация: Смотреть на карте

ВРИ: Для индивидуального жилищного строительства

Кадастровый номер: 76:20:040601:280

Кадастровая стоимость: -

Вид сделки: Аренда

Площадь: 1306 м²

Начальная цена: 207800.00 руб.

Дата завершения: 16.01.2026

Подробнее: ГИС ТОРГИ

#госземля #земляотгосударства #земля #земельныйучасток #земельныеторги #торги #аукцион #арендаземли #аренда #ярославскаяобласть