Найти в Дзене
ГосземляРФ

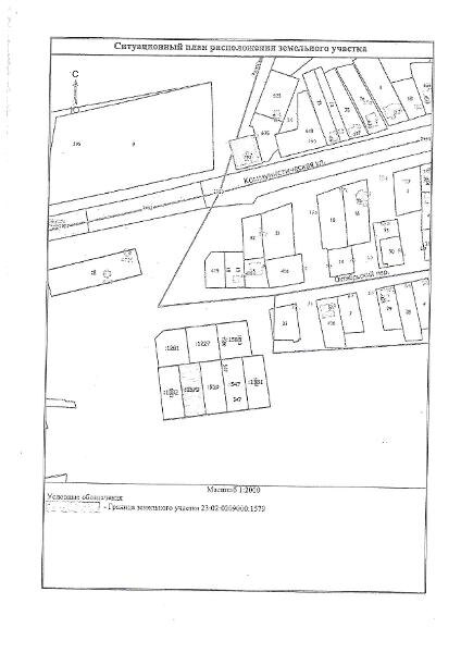
Название: предварительное согласование с кадастровым номером 23:02:0209000:1579, общей площадью 1000 кв.м., вид разрешенного использования

Название: предварительное согласование с кадастровым номером 23:02:0209000:1579, общей площадью 1000 кв.м., вид разрешенного использования «для индивидуального жилищного строительства», расположенного по адресу: Краснодарский край, Апшеронский район, город Апшеронск, ул. Малиновая, з/у 52. Канал: Госземля Краснодарский край Область: край Краснодарский Район: м.р-н Апшеронский Населенный пункт: г.п. Апшеронское, г Апшеронск, ул Малиновая Краснодарский край, Апшеронский район, город Апшеронск, ул. Малиновая, з/у 52 Локация: Смотреть на карте ВРИ: Для индивидуального жилищного строительства Кадастровый номер: 23:02:0209000:1579 Кадастровая стоимость: - Вид сделки: Аренда Площадь: 1000 м² Начальная цена: - руб. Дата завершения: 25.12.2025 Подробнее: ГИС ТОРГИ #госземля #земляотгосударства #земля #земельныйучасток #земельныеторги #торги #аукцион #арендаземли #аренда #краснодарскийкрай

Название: предварительное согласование с кадастровым номером 23:02:0209000:1579, общей площадью 1000 кв.м., вид разрешенного использования «для индивидуального жилищного строительства», расположенного по адресу: Краснодарский край, Апшеронский район, город Апшеронск, ул. Малиновая, з/у 52.

Канал: Госземля Краснодарский край

Область: край Краснодарский

Район: м.р-н Апшеронский

Населенный пункт: г.п. Апшеронское, г Апшеронск, ул Малиновая Краснодарский край, Апшеронский район, город Апшеронск, ул. Малиновая, з/у 52

Локация: Смотреть на карте

ВРИ: Для индивидуального жилищного строительства

Кадастровый номер: 23:02:0209000:1579

Кадастровая стоимость: -

Вид сделки: Аренда

Площадь: 1000 м²

Начальная цена: - руб.

Дата завершения: 25.12.2025

Подробнее: ГИС ТОРГИ

#госземля #земляотгосударства #земля #земельныйучасток #земельныеторги #торги #аукцион #арендаземли #аренда #краснодарскийкрай

-2